highlight_off
Riferimento annuncio 319638 info

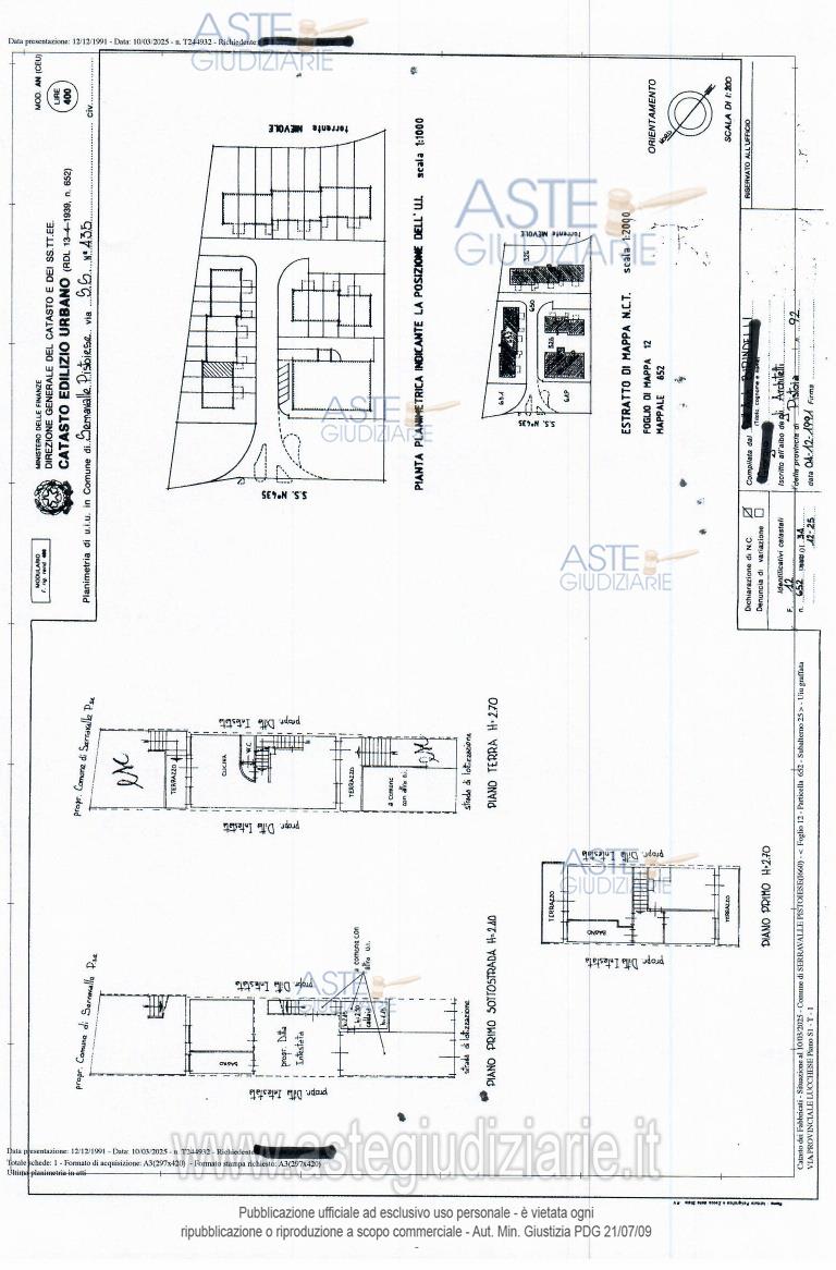
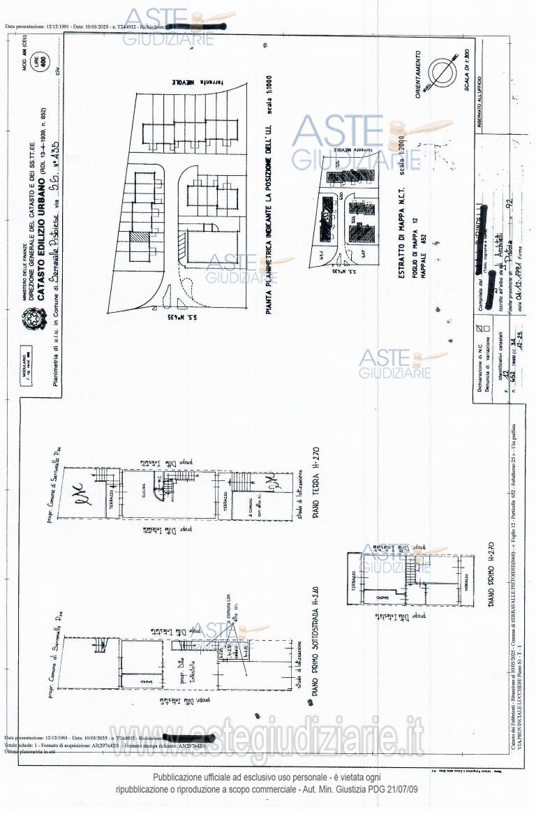
Villino Via Provinciale Lucchese, 587, 51030 Ponte di Serravalle PT, Italia, 51030 Serravalle Pistoiese (PT)

8,50
148,00
3
0
€ 212.000
Vendita all'asta Senza incanto, con gara telematica asincrona - LOTTO 7: Diritto di piena proprietà su di una villetta a schiera costituente porzione terra-tetto di fabbricato di più villette a schiera in Comune di Serravalle Pistoiese (PT), Località Ponte di Serravalle, con accesso dalla Via Provinciale Lucchese n. 587/C. Garage ubicato al piano seminterrato. Prezzo base € 212.000,00 (offerta minima € 159.000,00). Data inizio operazioni di vendita: 26/02/2026 ore 10:00. Giudice Dott. Nicoletta Maria Caterina Curci. Professionista delegato alla vendita Avv. Lara Bertocci - Email "lara.bertocci4@gmail.com"; Tel. 057322288. Custode Giudiziario Is.Ve.G. Istituto Vendite Giudiziarie S.R.L - Email "prenota.pt@isveg.it". Rif. Tribunale di Pistoia - Espropriazione immobiliare (cartabia) n. 8/2025

Superficie 148,00 mq
Vani 8,50
Bagni 3
Piano 0

Tipologia di vendita Giudiziaria
Modalità di vendita Asincrona telematica
Termine presentazione offerte 25/02/2026 ore 12:00
Data e ora inizio gara 26/02/2026 ore 10:00
Codice ID astegiudiziarie.it 4339303
8,50
148,00
3
0
€ 212.000

Ti interessa questa vendita?

north_east

Clicca qui per essere indirizzato alla scheda sul sito di provenienza

Bene di astegiudiziarie.it