highlight_off
Riferimento annuncio 324472 info

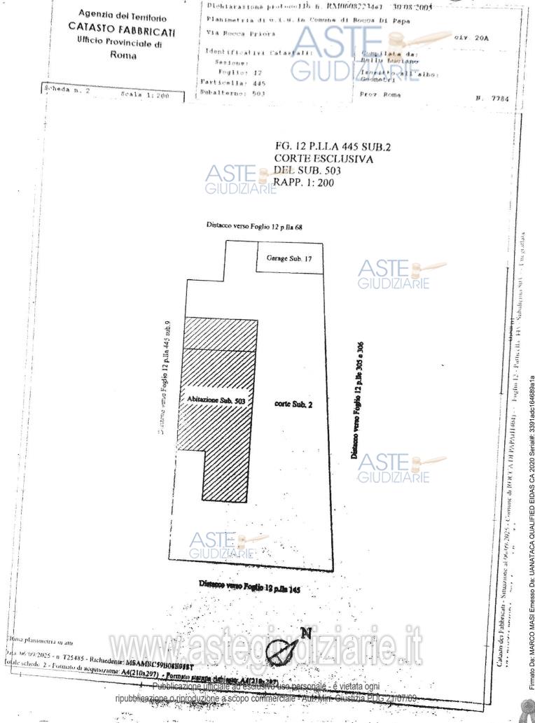
Villino Via di Rocca Priora, 00040 Rocca di Papa RM, Italia, 00040 Rocca di Papa (RM)

5,00
207,00
1
0
€ 122.144
Vendita all'asta Senza incanto, con gara telematica asincrona - LOTTO UNICO: Villino, sviluppantesi sui piani terra e primo (soffitta), collegati da una scala interna con annessa corte esclusiva. Prezzo base € 122.144,34 (offerta minima € 91.608,25). Data inizio operazioni di vendita: 02/04/2026 ore 10:00. Giudice Dott. Raffaella Calvanese. Professionista delegato alla vendita Avv. Bruna Monaco - Email "bruna.monaco@oav.legalmail.it". Custode Giudiziario Avv. Bruna Monaco - Email "avvmonacobruna@gmail.com"; Cell. 0696153079. Rif. Tribunale di Velletri - Espropriazione immobiliare (cartabia) n. 423/2024

Superficie 207,00 mq
Vani 5,00
Bagni 1
Piano 0

Tipologia di vendita Giudiziaria
Modalità di vendita Asincrona telematica
Termine presentazione offerte 01/04/2026 ore 23:59
Data e ora inizio gara 02/04/2026 ore 10:00
Codice ID astegiudiziarie.it 4343721
5,00
207,00
1
0
€ 122.144

Ti interessa questa vendita?

north_east

Clicca qui per essere indirizzato alla scheda sul sito di provenienza

Bene di astegiudiziarie.it