highlight_off
Riferimento annuncio 243698 info

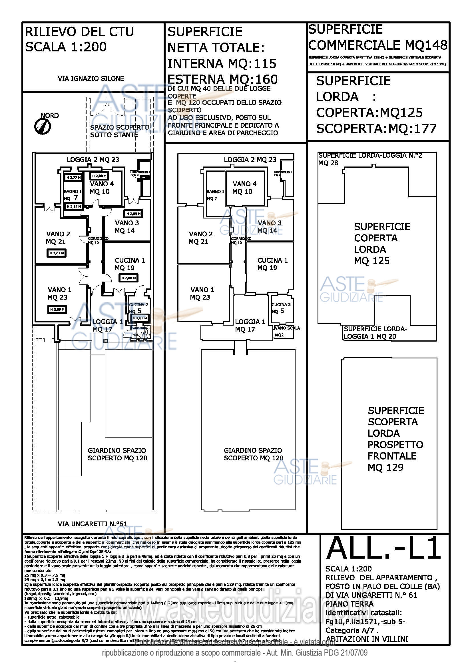
Villino Via G.Ungaretti 61, 70027 Palo del Colle (BA)

0
€ 167.250
Vendita all'asta Senza incanto, con gara telematica asincrona - LOTTO UNICO: Piena proprietà di appartamento con accesso indipendente, posto al piano terra di villino a schiera, dotato di spazi di pertinenza scoperti sui prospetti anteriori e posteriori, e ampio box posto al sottostante piano interrato. Prezzo base € 167.250,00 (offerta minima € 125.437,50). Data inizio operazioni di vendita: 12/02/2026 ore 17:30. Giudice Dott. Marina Cavallo. Professionista delegato alla vendita Dott. Enrica Gironda Veraldi - Email "info@enricagironda.it". Custode Giudiziario Dott. Enrica Gironda Veraldi - Email "info@enricagironda.it". Rif. Tribunale di Bari - Esecuzione immobiliare post legge 80 n. 332/2021

Superficie mq
Vani
Bagni
Piano 0

Tipologia di vendita Giudiziaria
Modalità di vendita Asincrona telematica
Termine presentazione offerte 01/01/1900 ore 00:00
Data e ora inizio gara 12/02/2026 ore 17:30
Codice ID astegiudiziarie.it 4279912
0
€ 167.250

Ti interessa questa vendita?

north_east

Clicca qui per essere indirizzato alla scheda sul sito di provenienza

Bene di astegiudiziarie.it