Riferimento annuncio 300063
Villino C.da Carrata, 96018 Pachino (SR)
6,00
11301,00
0
€ 100.702
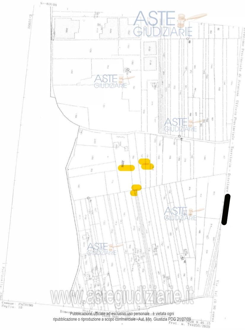
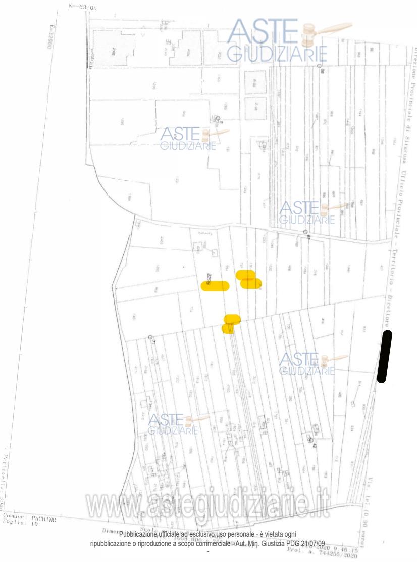
Vendita all'asta Senza incanto, con gara telematica sincrona mista - LOTTO 1: Unità immobiliari in Pachino (SR), C.da Carrata, composte da: a) fabbricato per civile abitazione in NCEU al fg 19, p.lla 1698, cat. A/7, cl. 1, vani 6, sup cat totale mq. 83, RC € 418,33, con piscina interrata di m 10,50x4,15; b) magazzino in NCEU al fg 19, p.lla 2300, cat. C/2, cl. 1, consistenza mq. 218, sup cat mq. 260, RC € 472,87; c) terreno della superficie complessiva di mq 11.000,00, in NCT al fg 19, p.lla 2299, qualità vigneto, cl. 3, Ha 01.07.66, RD € 97,30, RA € 38,92, in Zona “E”. Prezzo base € 100.701,56 (offerta minima € 75.526,17). Data vendita 22/07/2026 ore 11:00. Giudice: Concita Cultrera.
Professionista delegato alla vendita: Avv. Riccardo Bordone - Email "avv.riccardobordone@mbcg.it"; Tel. 0931/1562510; Cell. 338/8273630.
Custode Giudiziario: Avv. Riccardo Bordone - Email "avv.riccardobordone@mbcg.it"; Tel. 0931/1562510; Cell. 338/8273630.
Rif. Tribunale di Siracusa - Esecuzione immobiliare post legge 80 n. 172/2010
| Superficie | 11301,00 mq |
|---|---|
| Vani | 6,00 |
| Bagni | |
| Piano | 0 |
| Tipologia di vendita | Giudiziaria |
|---|---|
| Modalità di vendita | Sincrona mista |
| Termine presentazione offerte | 21/07/2026 ore 12:00 |
| Data e ora inizio gara | 22/07/2026 ore 11:00 |
- file_download Ordinanza
- file_download Ordinanza
- file_download Ordinanza
- file_download Ordinanza
- file_download Ordinanza
- file_download Perizia
- file_download Perizia
- file_download Perizia
- file_download Perizia
- file_download Perizia
- file_download Altro
- file_download Altro
- file_download Altro
- file_download Altro
- file_download Altro
- file_download Altro
- file_download Altro
- file_download Avviso