highlight_off
Riferimento annuncio 330194 info

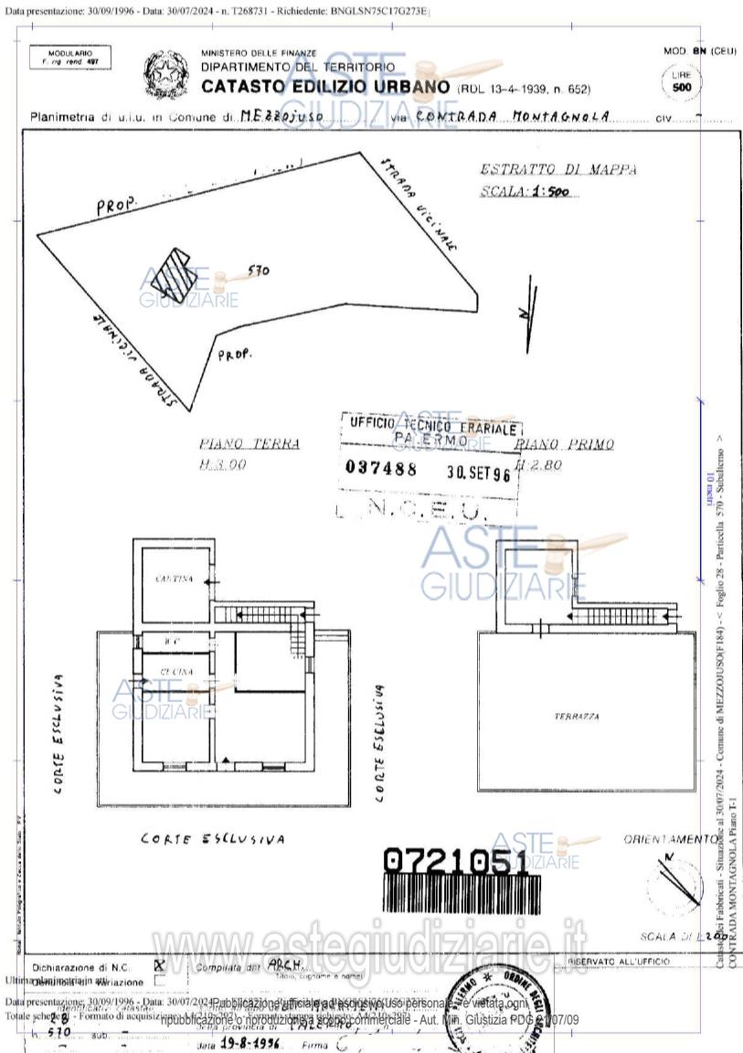
Villino contrada Montagnola s.n.c., 90030 Mezzojuso (PA)

6,00
231,11
0
€ 26.000
Vendita all'asta Senza incanto, con gara telematica sincrona mista - LOTTO 3: quota indivisa di 5/6 della piena proprietà dell’abitazione in villino sita nel Comune di Mezzojuso (PA), contrada Montagnola s.n.c., piani terra e primo, di superficie commerciale complessiva pari a mq. 231,11, identificata in Catasto dei Fabbricati del detto Comune al foglio 28, particella 570, categoria A/7, classe U, consistenza 6 vani, rendita catastale € 387,34. Prezzo base € 26.000,00 (offerta minima € 19.500,00). Data vendita 29/05/2026 ore 09:30. Giudice: Valentina Imperiale. Professionista delegato alla vendita: Avv. Marina Vajana - Email "avvmvajana.esecuzioni@gmail.com"; Tel. 091/300764. Custode Giudiziario: Avv. Giovanni Barresi - Email "assoveda@gmail.com"; Tel. 091/335768. Rif. Tribunale di Palermo - Esecuzione immobiliare post legge 80 n. 98/1997

Superficie 231,11 mq
Vani 6,00
Bagni
Piano 0

Tipologia di vendita Giudiziaria
Modalità di vendita Sincrona mista
Termine presentazione offerte 28/05/2026 ore 13:00
Data e ora inizio gara 29/05/2026 ore 09:30
Codice ID astegiudiziarie.it 4348109
6,00
231,11
0
€ 26.000

Ti interessa questa vendita?

north_east

Clicca qui per essere indirizzato alla scheda sul sito di provenienza

Bene di astegiudiziarie.it