highlight_off
Riferimento annuncio 312555 info

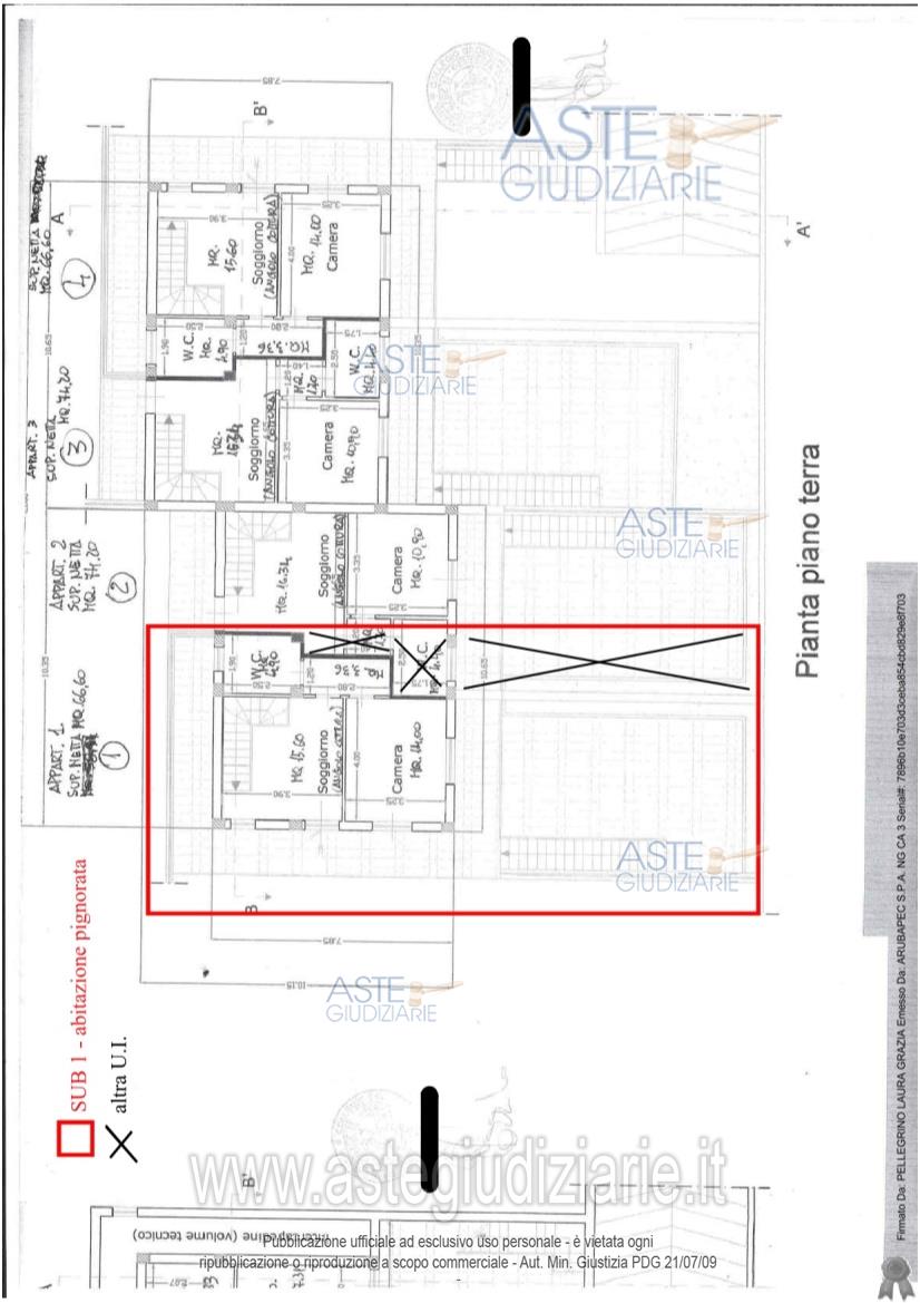
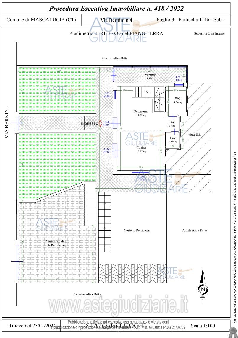
Villa Via Lorenzo Bernini n. 4, 95030 Mascalucia (CT)

4,00
96,00
0
€ 96.000
Vendita all'asta Senza incanto, con gara telematica sincrona - LOTTO 1: Diritto di piena proprietà su villetta a schiera sita a Mascalucia (CT) Via Lorenzo Bernini n. 4, con corti esterne di pertinenza, su due piani collegati da una scala interna. Prezzo base € 96.000,00 (offerta minima € 72.000,00). Data vendita 11/12/2025 ore 12:00. Professionista delegato alla vendita Avv. Roberto Li Mura - Email "robertolimura@assoct.it"; Tel. 095506400. Custode Giudiziario Avv. Roberto Li Mura - Email "robertolimura@assoct.it"; Tel. 095506400. Rif. Tribunale di Catania - Esecuzione immobiliare n. 418/2022

Superficie 96,00 mq
Vani 4,00
Bagni
Piano 0

Tipologia di vendita Giudiziaria
Modalità di vendita Sincrona telematica
Termine presentazione offerte 01/01/1900 ore 00:00
Data e ora inizio gara 11/12/2025 ore 12:00
Codice ID astegiudiziarie.it 4334036
4,00
96,00
0
€ 96.000

Ti interessa questa vendita?

north_east

Clicca qui per essere indirizzato alla scheda sul sito di provenienza

Bene di astegiudiziarie.it