highlight_off
Riferimento annuncio 252993 info

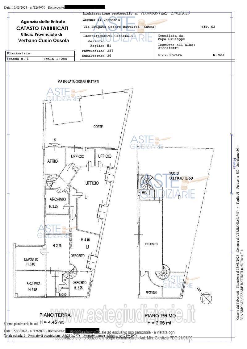
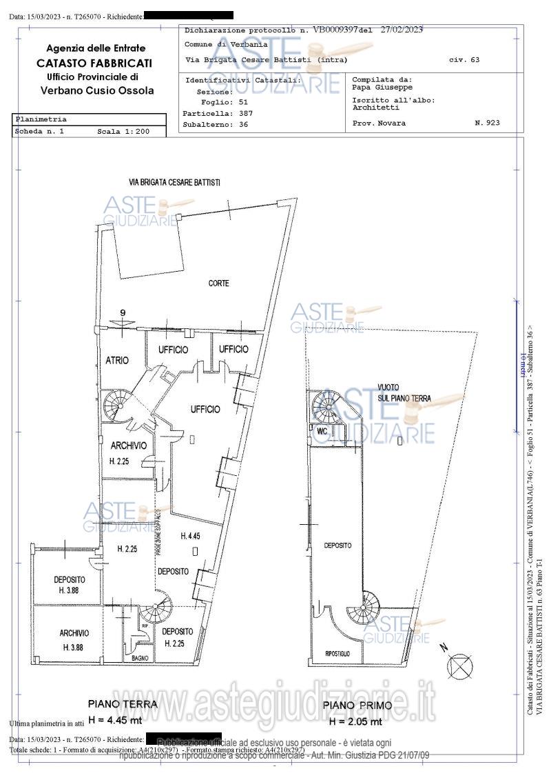
Ufficio Via Brigata Cesare Battisti, 63, 28921 Verbania VB, Italia, 28900 Verbania (VB)

443,00
0
€ 348.906
Vendita all'asta Con incanto, con gara telematica asincrona - LOTTO 04031: LOTTO 04031 - Unità immobiliare al piano Terra e Primo. Prezzo base € 348.906,00. Data vendita: dal 08/06/2026 ore 09:00 al 13/07/2026 ore 12:00. Giudice: Caterina Sinico. Custode Giudiziario: Avv. Riccardo Sappa. Curatore: Avv. Riccardo Sappa. Rif. Tribunale di Verbania - Fallimentare (nuovo rito) n. 18/2019

Superficie 443,00 mq
Vani
Bagni
Piano 0

Tipologia di vendita Giudiziaria
Modalità di vendita Asincrona telematica
Termine presentazione domande 22/06/2026 ore 12:00
Data e ora inizio gara 08/06/2026 ore 09:00
Codice ID astegiudiziarie.it 4287279
443,00
0
€ 348.906

Ti interessa questa vendita?

north_east

Clicca qui per essere indirizzato alla scheda sul sito di provenienza

Bene di astegiudiziarie.it