highlight_off
Riferimento annuncio 310296 info

Ufficio c.da Santa Loja, 85050 Tito (PZ)

66,00
0
€ 38.813
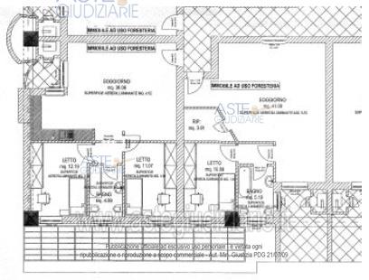
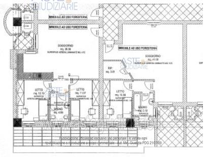
Vendita all'asta Senza incanto - LOTTO 13: diritti pari all’intero (1/1) in piena proprietà di un appartamento sito nel Comune di Tito (PZ) alla C.da Santa Loja, piano secondo, costituito da un soggiorno-pranzo-cucina, un disimpegno, una camera da letto, un bagno ed un ripostiglio lavanderia. Prezzo base € 38.812,50 (offerta minima € 29.109,37). Data vendita 09/07/2026 ore 10:00. Professionista delegato alla vendita: Avv. Francesco Missanelli - Email "francescomissanelli@gmail.com"; Tel. 0971/443116. Curatore: Avv. Antonio Lomonaco - Email "avv.lomonacoantonio@libero.it"; Tel. 0971/476444. Custode Giudiziario: Avv. Antonio Lomonaco - Email "avv.lomonacoantonio@libero.it"; Tel. 0971/476444. Rif. Tribunale di Potenza - Esecuzione immobiliare post legge 80 n. 58/2020

Superficie 66,00 mq
Vani
Bagni
Piano 0

Tipologia di vendita Giudiziaria
Modalità di vendita Presso il venditore
Termine presentazione offerte 01/01/1900 ore 00:00
Data e ora inizio gara 09/07/2026 ore 10:00
Codice ID astegiudiziarie.it 4332019
66,00
0
€ 38.813

Ti interessa questa vendita?

north_east

Clicca qui per essere indirizzato alla scheda sul sito di provenienza

Bene di astegiudiziarie.it