highlight_off
Riferimento annuncio 310287 info

Ufficio c.da Santa Loja, 85050 Tito (PZ)

4,50
70,00
0
€ 55.500
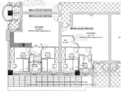
Vendita all'asta Senza incanto - LOTTO 4: diritti pari all’intero (1/1) in piena proprietà di un appartamento sito nel Comune di Tito (PZ) alla C.da Santa Loja, piano secondo, costituito da un soggiorno-pranzo, un angolo cottura, due camere da letto, un bagno ed un ripostiglio. Prezzo base € 55.500,00 (offerta minima € 41.625,00). Data vendita 05/02/2026 ore 10:00. Professionista delegato alla vendita Avv. Francesco Missanelli - Email "francescomissanelli@gmail.com"; Tel. 0971443116. Custode Giudiziario Avv. Antonio Lomonaco - Email "avv.lomonacoantonio@libero.it"; Tel. 0971476444. Rif. Tribunale di Potenza - Esecuzione immobiliare post legge 80 n. 58/2020

Superficie 70,00 mq
Vani 4,50
Bagni
Piano 0

Tipologia di vendita Giudiziaria
Modalità di vendita Presso il venditore
Termine presentazione offerte 01/01/1900 ore 00:00
Data e ora inizio gara 05/02/2026 ore 10:00
Codice ID astegiudiziarie.it 4332010
4,50
70,00
0
€ 55.500

Ti interessa questa vendita?

north_east

Clicca qui per essere indirizzato alla scheda sul sito di provenienza

Bene di astegiudiziarie.it