highlight_off
Riferimento annuncio 75867 info

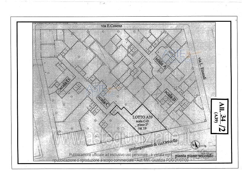
Ufficio Via Enrico Cosenz, 13, 80142 Napoli NA, Italia, 80100 Napoli (NA)

0
€ 193.294
Vendita all'asta Senza incanto - LOTTO Z 33 34: Lotto Z lotti 33-34: Unità immobiliari destinate ad uso ufficio, nel fabbricato in Napoli, Via E. Cosenz 13.LE VISITE DEGLI IMMOBILI DA CONCORDARE CON IL CURATORE, SARANNO EFFETTUATE NELLE GIORNATE DEL: 10 SETTEMBRE 2025, 22 SETTEMBRE 2025, 6 OTTOBRE 2025, 20 OTTOBRE 2025, 10 NOVEMBRE 2025 CON PRENOTAZIONE DA EFFETTUARSI PRESSO LO STUDIO DEL CURATORE EFFETTIVAMENTE ENTRO IL: 4 SETTEMBRE 2025, 15 SETTEMBRE 2025, 29 SETTEMBRE 2025, 13 OTTOBRE 2025, 4 NOVEMBRE 2025. Prezzo base € 193.294,35 (offerta minima € 144.970,76). Data vendita 13/11/2025 ore 12:00. Giudice Dott. Francesco Paolo Feo. Curatore Dott. Roberto Marciano - Email "roberto.marciano@ass-com.it"; Tel. 0817641865. Rif. Tribunale di Napoli - Fallimentare n. 361/2002

Superficie mq
Vani
Bagni
Piano 0

Tipologia di vendita Giudiziaria
Modalità di vendita Presso il venditore
Termine presentazione offerte 01/01/1900 ore 00:00
Data e ora inizio gara 13/11/2025 ore 12:00
Codice ID astegiudiziarie.it 431347
0
€ 193.294

Ti interessa questa vendita?

north_east

Clicca qui per essere indirizzato alla scheda sul sito di provenienza

Bene di astegiudiziarie.it