highlight_off
Riferimento annuncio 303686 info

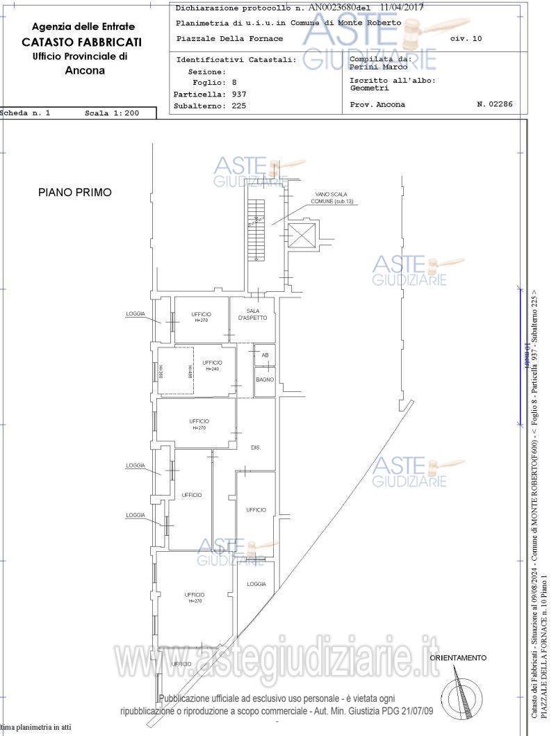
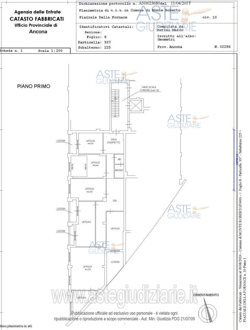
Ufficio Piazzale della Fornace, 10, 60030 Pianello Vallesina AN, Italia, 60030 Monte Roberto (AN)

8,00
135,00
0
€ 113.063
Vendita all'asta Senza incanto, con gara telematica asincrona - LOTTO 83: Ufficio posto al piano primo oltre ad un box auto al piano interrato. Prezzo base € 113.063,00 (offerta minima € 84.798,00). Data inizio operazioni di vendita: 11/12/2025 ore 11:30. Professionista delegato alla vendita Avv. Gabriele Sartini - Email "avv.gabrielesartini@gmail.com"; Tel. 3337222327. Custode Giudiziario Avv. Gianluca Spinsanti - Email "g.spinsanti@studiolegalerossini.eu"; Tel. 0712075613. Rif. Tribunale di Ancona - Espropriazione immobiliare (cartabia) n. 41/2024

Superficie 135,00 mq
Vani 8,00
Bagni
Piano 0

Tipologia di vendita Giudiziaria
Modalità di vendita Asincrona telematica
Termine presentazione offerte 10/12/2025 ore 12:00
Data e ora inizio gara 11/12/2025 ore 11:30
Codice ID astegiudiziarie.it 4326761
8,00
135,00
0
€ 113.063

Ti interessa questa vendita?

north_east

Clicca qui per essere indirizzato alla scheda sul sito di provenienza

Bene di astegiudiziarie.it