highlight_off
Riferimento annuncio 274344 info

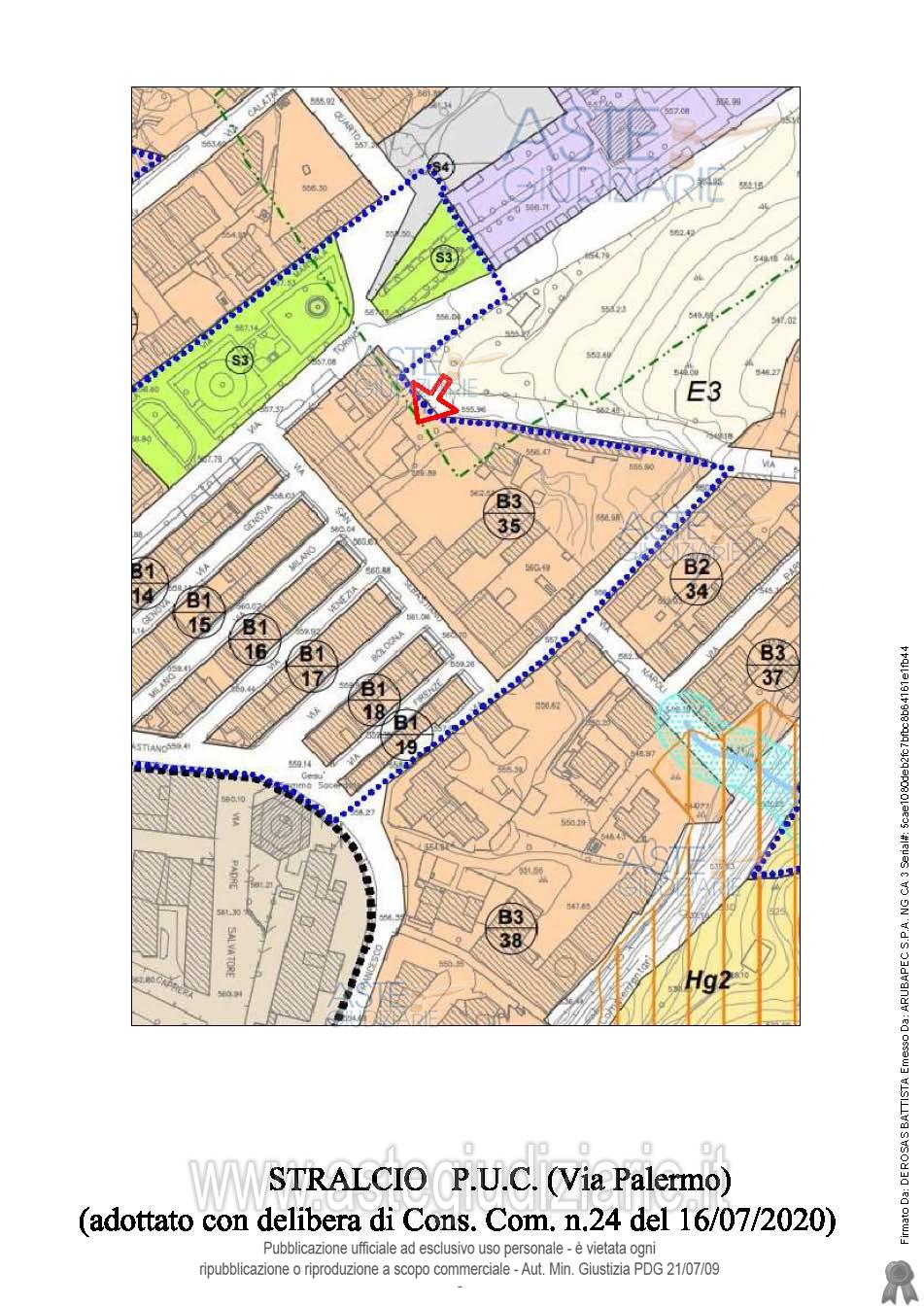
Terreno agricolo via Giovanni XXXIII, 07029 Tempio Pausania (SS)

€ 55.261
Vendita all'asta Senza incanto, con gara telematica asincrona - LOTTO UNICO: Lotto edificabile di mq 1066,00. Prezzo base € 55.261,00 (offerta minima € 41.446,00). Data inizio operazioni di vendita: 14/04/2026 ore 15:00. Giudice Alessandro Di Giacomo. Professionista delegato alla vendita Avv. Barbara Orecchioni - Email "barbaraorecchioni@tiscali.it"; Tel. 079632720. Custode Giudiziario Ivg Tempio Pausania - Email "visite.ivgtempio@gmail.com"; Tel. 079630505. Rif. Tribunale di Tempio Pausania - Esecuzione immobiliare post legge 80 n. 32/2019

Tipologia di vendita Giudiziaria
Modalità di vendita Asincrona telematica
Termine presentazione offerte 01/01/1900 ore 00:00
Data e ora inizio gara 14/04/2026 ore 15:00
Codice ID astegiudiziarie.it 4303827
€ 55.261

Ti interessa questa vendita?

north_east

Clicca qui per essere indirizzato alla scheda sul sito di provenienza

Bene di astegiudiziarie.it