highlight_off
Riferimento annuncio 330439 info

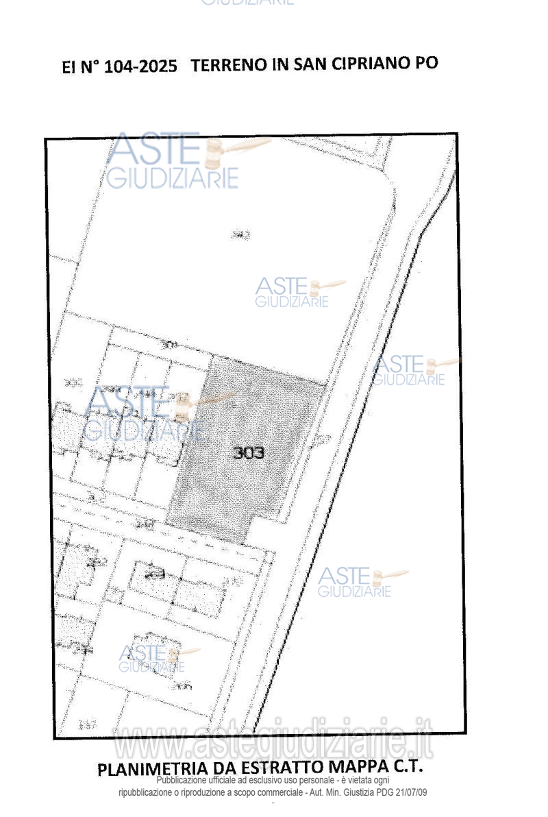
Terreno agricolo Via Madre Teresa di Calcutta, 27043 San Cipriano Po PV, Italia, 27043 San Cipriano Po (PV)

€ 29.100
Vendita all'asta Senza incanto, con gara telematica asincrona - LOTTO UNICO: Piena proprietà per la quota intera di 1000/1000 di appezzamento di terreno parzialmente edifi-cabile sito in Comune di San Cipriano Po (PV), Via Madre Teresa di Calcutta angolo Via Cantarana. Prezzo base € 29.100,00 (offerta minima € 21.825,00). Data inizio operazioni di vendita: 26/05/2026 ore 11:00. Giudice: Erminio Rizzi. Professionista delegato alla vendita: Avv. Erika Magro. Custode Giudiziario: Ivg Vigevano - Email "immobiliarivigevano@ifir.it". Rif. Tribunale di Pavia - Espropriazione immobiliare (cartabia) n. 104/2025

Tipologia di vendita Giudiziaria
Modalità di vendita Asincrona telematica
Termine presentazione offerte 25/05/2026 ore 12:00
Data e ora inizio gara 26/05/2026 ore 11:00
Codice ID astegiudiziarie.it 4348313
€ 29.100

Ti interessa questa vendita?

north_east

Clicca qui per essere indirizzato alla scheda sul sito di provenienza

Bene di astegiudiziarie.it