highlight_off
Riferimento annuncio 319546 info

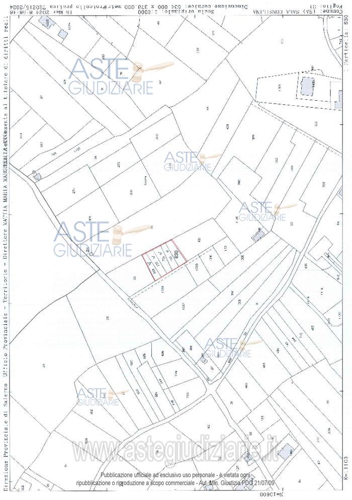
Terreno agricolo Via Marsicanella Sala Consilina, 84036 Sala Consilina SA, Italia, 84036 Sala Consilina (SA)

€ 9.563
Vendita all'asta Senza incanto, con gara telematica sincrona - LOTTO 3: Terreni siti nel Comune di Sala Consilina (SA), individuati catastalmente al Foglio n°31Particelle 630-730-731-732-733. Prezzo base € 9.562,50 (offerta minima € 7.171,88). Data vendita 23/04/2026 ore 17:00. Professionista delegato alla vendita Avv. Rossella Roselli - Email "studiolegaleroselli@gmail.com"; Tel. 3385695949. Rif. Tribunale di Lagonegro - Contenzioso civile n. 1168/2021

Tipologia di vendita Giudiziaria
Modalità di vendita Sincrona telematica
Termine presentazione offerte 22/04/2026 ore 17:00
Data e ora inizio gara 23/04/2026 ore 17:00
Codice ID astegiudiziarie.it 4339654
€ 9.563

Ti interessa questa vendita?

north_east

Clicca qui per essere indirizzato alla scheda sul sito di provenienza

Bene di astegiudiziarie.it