highlight_off
Riferimento annuncio 319545 info

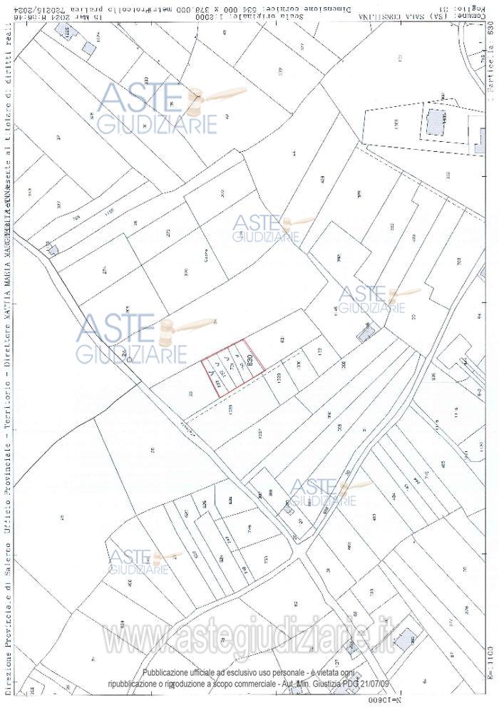
Terreno agricolo località S. Raffaele, 84036 Sala Consilina (SA)

€ 12.300
Vendita all'asta Senza incanto, con gara telematica sincrona - LOTTO 2: Terreni siti nel Comune di Sala Consilina (SA), individuati catastalmente al foglio n. 46, particelle nn. 2490, 2588, 2597, 2609, 3128, 3129, 3134. Prezzo base € 12.300,00 (offerta minima € 9.225,00). Data vendita 21/01/2026 ore 17:00. Professionista delegato alla vendita Avv. Rossella Roselli - Email "studiolegaleroselli@gmail.com"; Tel. 3385695949. Rif. Tribunale di Lagonegro - Contenzioso civile n. 1168/2021

Tipologia di vendita Giudiziaria
Modalità di vendita Sincrona telematica
Termine presentazione offerte 20/01/2026 ore 17:00
Data e ora inizio gara 21/01/2026 ore 17:00
Codice ID astegiudiziarie.it 4339653
€ 12.300

Ti interessa questa vendita?

north_east

Clicca qui per essere indirizzato alla scheda sul sito di provenienza

Bene di astegiudiziarie.it