highlight_off
Riferimento annuncio 319544 info

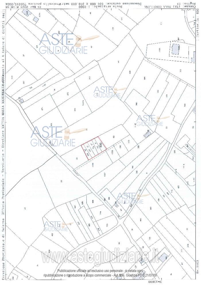
Terreno agricolo N.A., 84036 Sala Consilina (SA)

€ 5.411
Vendita all'asta Senza incanto, con gara telematica sincrona - LOTTO 4: Terreni siti nel Comune di Sala Consilina (SA), individuati catastalmente al Foglio n°42 Particelle 145-341. Prezzo base € 5.411,00 (offerta minima € 4.058,25). Data vendita 21/01/2026 ore 17:00. Professionista delegato alla vendita Avv. Rossella Roselli - Email "studiolegaleroselli@gmail.com"; Tel. 3385695949. Rif. Tribunale di Lagonegro - Contenzioso civile n. 1168/2021

Tipologia di vendita Giudiziaria
Modalità di vendita Sincrona telematica
Termine presentazione offerte 20/01/2026 ore 17:00
Data e ora inizio gara 21/01/2026 ore 17:00
Codice ID astegiudiziarie.it 4339652
€ 5.411

Ti interessa questa vendita?

north_east

Clicca qui per essere indirizzato alla scheda sul sito di provenienza

Bene di astegiudiziarie.it