highlight_off
Riferimento annuncio 319542 info

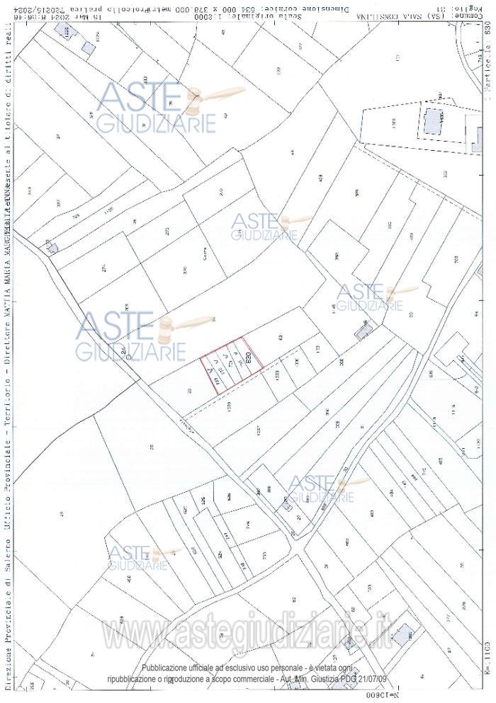
Terreno agricolo località s. Angelo, 84036 Sala Consilina (SA)

€ 6.517
Vendita all'asta Senza incanto, con gara telematica sincrona - LOTTO 5: Terreni siti nel Comune di Sala Consilina (SA), individuati catastalmente al Foglio n°43 Particelle 186-289 . Prezzo base € 6.517,00 (offerta minima € 4.887,75). Data vendita 21/01/2026 ore 17:00. Professionista delegato alla vendita Avv. Rossella Roselli - Email "studiolegaleroselli@gmail.com"; Tel. 3385695949. Rif. Tribunale di Lagonegro - Contenzioso civile n. 1168/2021

Tipologia di vendita Giudiziaria
Modalità di vendita Sincrona telematica
Termine presentazione offerte 20/01/2026 ore 17:00
Data e ora inizio gara 21/01/2026 ore 17:00
Codice ID astegiudiziarie.it 4339650
€ 6.517

Ti interessa questa vendita?

north_east

Clicca qui per essere indirizzato alla scheda sul sito di provenienza

Bene di astegiudiziarie.it