highlight_off
Riferimento annuncio 309299 info

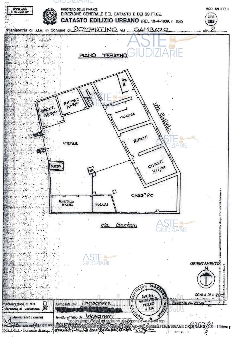
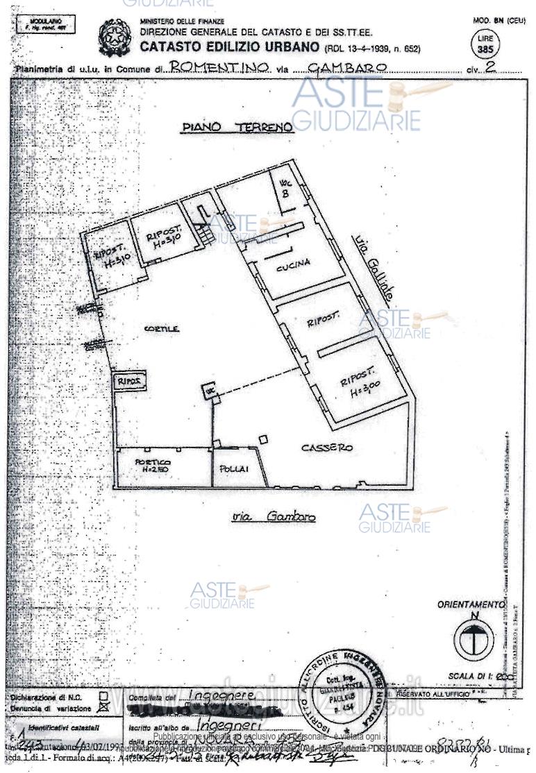
Terreno agricolo Via G. B. Gambaro, 2, 28068 Romentino NO, Italia, 28068 Romentino (NO)

€ 3.240
Vendita all'asta Senza incanto, con gara telematica asincrona - LOTTO 2: Piena proprietà per la quota di 1000/1000 di sedime cortilizio esclusivo (utilizzo parcheggio) . Prezzo base € 3.240,00 (offerta minima € 2.430,00). Data inizio operazioni di vendita: 08/01/2026 ore 12:00. Professionista delegato alla vendita Dott. Marco Rusconi - Email "infoaste@cegnovara.it"; Tel. 0321397588. Custode Giudiziario Ifir Piemonte Ivg S.R.L. - Email "richiestevisite.novara@ivgpiemonte.it"; Tel. 0321628676. Rif. Tribunale di Novara - Espropriazione immobiliare (cartabia) n. 1/2024

Tipologia di vendita Giudiziaria
Modalità di vendita Asincrona telematica
Termine presentazione offerte 07/01/2026 ore 12:00
Data e ora inizio gara 08/01/2026 ore 12:00
Codice ID astegiudiziarie.it 4331082
€ 3.240

Ti interessa questa vendita?

north_east

Clicca qui per essere indirizzato alla scheda sul sito di provenienza

Bene di astegiudiziarie.it