highlight_off
Riferimento annuncio 255880 info

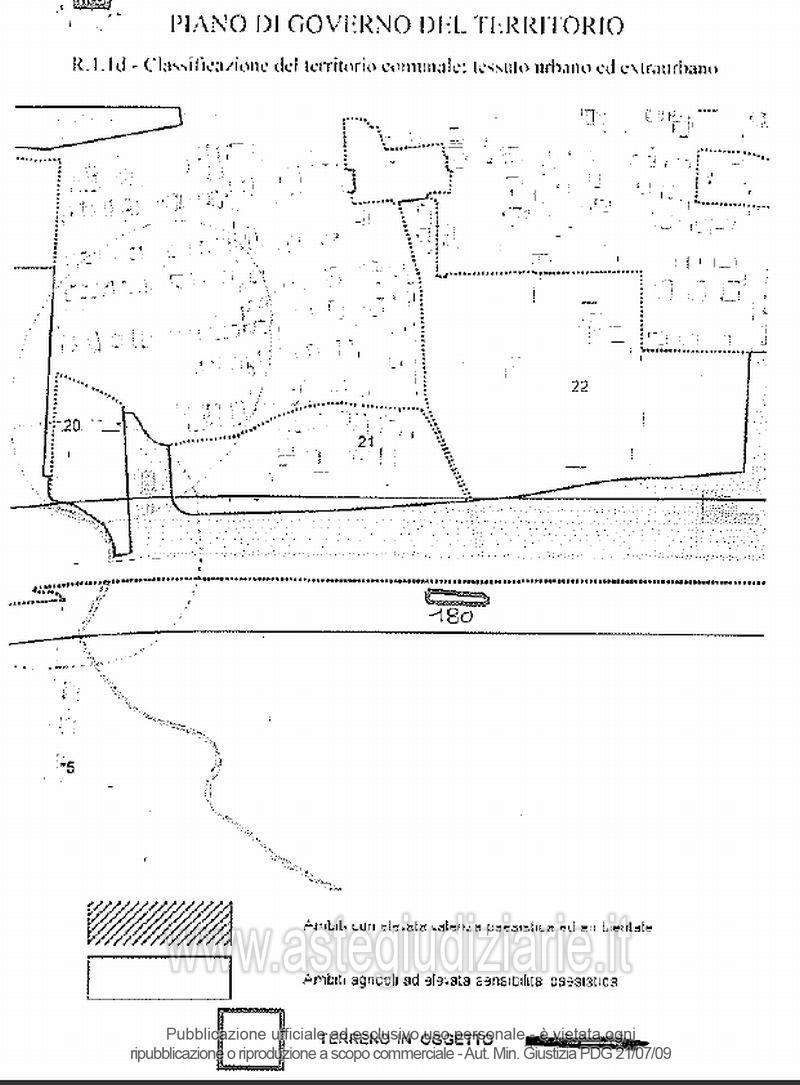
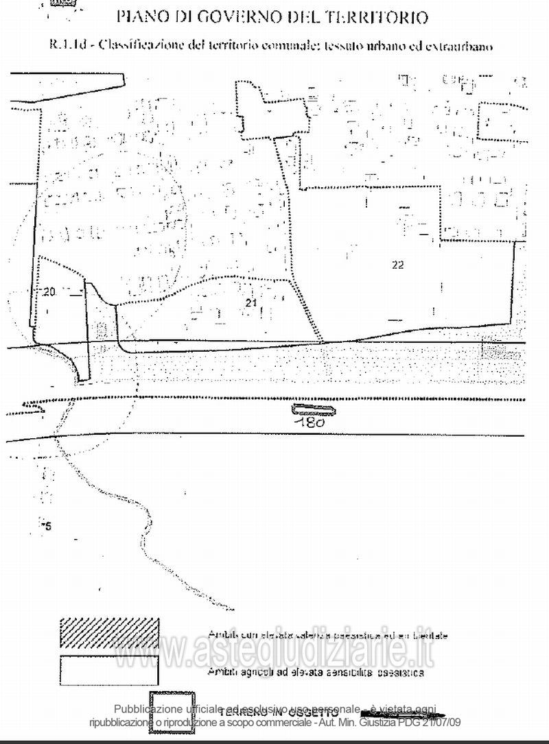
Terreno agricolo Rodengo Saiano, 25050 Rodengo Saiano (BS)

€ 1.192
Vendita all'asta Senza incanto, con gara telematica asincrona - LOTTO 11: Piena proprietà di terreno. Prezzo base € 1.192,33 (offerta minima € 894,24). Data inizio operazioni di vendita: 28/01/2026 ore 12:00. Professionista delegato alla vendita Not. Camilla Barzellotti - Email "cbarzellotti@notariato.it"; Tel. 030222849. Custode Giudiziario Dott. Vittorio Corniani - Email "ivgbrescia@ivgbrescia.com"; Tel. 030348410. Rif. Tribunale di Brescia - Esecuzione immobiliare post legge 80 n. 966/2011

Tipologia di vendita Giudiziaria
Modalità di vendita Asincrona telematica
Termine presentazione offerte 01/01/1900 ore 00:00
Data e ora inizio gara 28/01/2026 ore 12:00
Codice ID astegiudiziarie.it 224223
€ 1.192

Ti interessa questa vendita?

north_east

Clicca qui per essere indirizzato alla scheda sul sito di provenienza

Bene di astegiudiziarie.it