highlight_off
Riferimento annuncio 117380 info

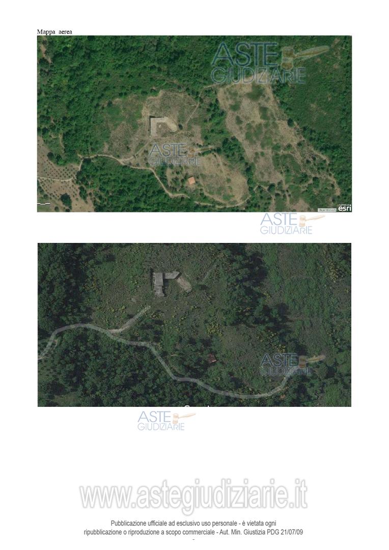
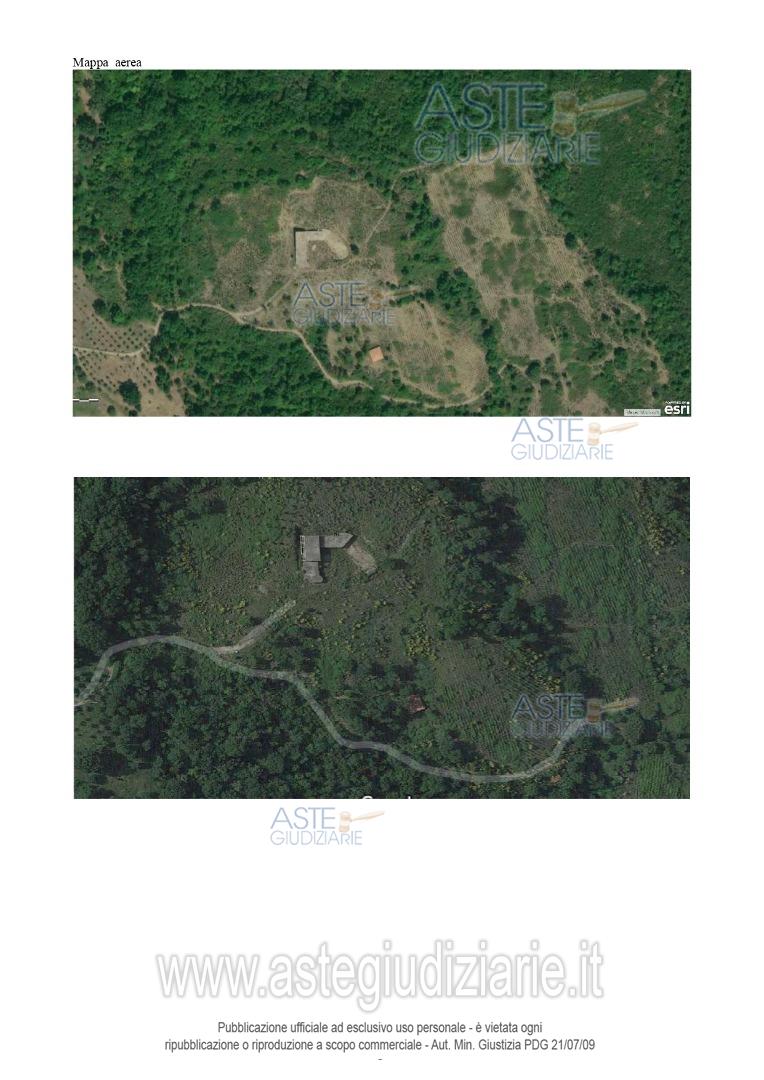
Terreno agricolo Località laudico-scarpetta, 84060 Roccagloriosa (SA)

€ 134.882
Vendita all'asta Senza incanto - LOTTO UNICO: Terreni tra loro confinanti, con fabbricati, siti in Comune di Roccagloriosa alla località Laudico-Scarpetta, censiti al C.T. di detto Comune al Fg. 37, p.lla 38, 39, 65 e 67 per un totale di 183.767mq., di cui 22.600 mq porz. AA vigneto e 161.167 mq porz. AB seminativo-arborato, condeposito agricolo di 88 mq, superficie catastale 116 mq,cat. C/2, cl. 3, P.T., fabbricato in corso di costruzione per struttura agro-ricettiva con superficienetta di 842 mq. e fabbricato. Prezzo base € 134.881,52 (offerta minima € 101.161,14). Data vendita 22/05/2026 ore 17:00. Giudice: Roberta Giglio. Professionista delegato alla vendita: Avv. Umberto Salerno. Custode Giudiziario: Avv. Umberto Salerno - Email "umbsal@alice.it"; Cell. 392/1008307. Rif. Tribunale di Vallo della Lucania - Esecuzione immobiliare post legge 80 n. 87/2019

Tipologia di vendita Giudiziaria
Modalità di vendita Presso il venditore
Termine presentazione offerte 01/01/1900 ore 00:00
Data e ora inizio gara 22/05/2026 ore 17:00
Codice ID astegiudiziarie.it 4228346
€ 134.882

Ti interessa questa vendita?

north_east

Clicca qui per essere indirizzato alla scheda sul sito di provenienza

Bene di astegiudiziarie.it