highlight_off
Riferimento annuncio 330409 info

Terreno agricolo Via Guardiana Contrada, 96010 Portopalo di Capo Passero SR, Italia, 96010 Portopalo di Capo Passero (SR)

€ 36.000
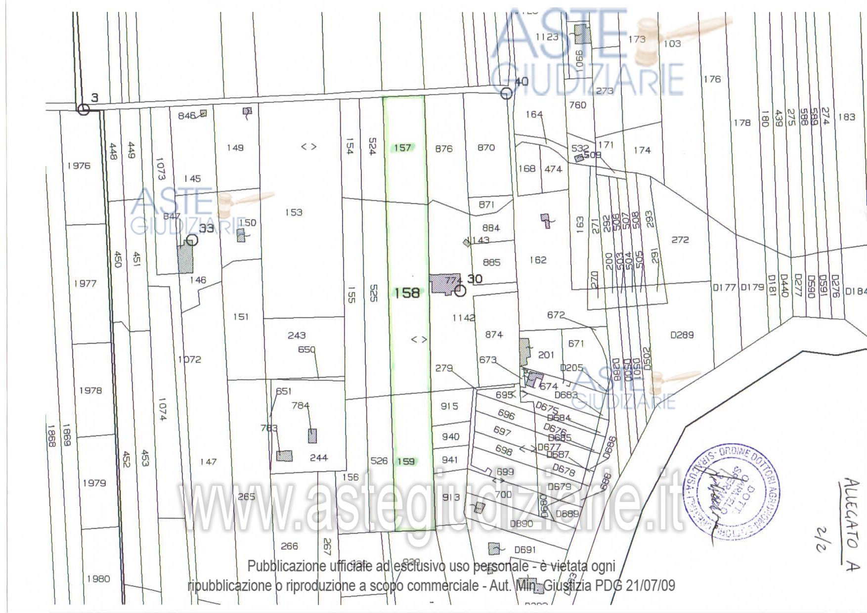
Vendita all'asta Senza incanto, con gara telematica sincrona mista - LOTTO UNICO: Piena proprietà di un terreno nella contrada “Guardiana” di Portopalo di Capo Passero, con sovrastante fabbricato rustico, un casotto e con pozzo freatico.Il terreno nel NCT del predetto Comune al foglio 41, p.lle 157-158-159, con sup. cat. complessiva di 84,66 are. Il fabbricato nel NCEU del Comune di Portopalo di Capo Passero al foglio 41,p.lla 1214 sub 1, Categoria A/2, Classe U, consistenza 4,5 vani, contrada Guardiana piano T, rendita €. 453,19; Il casotto e il pozzo non sono censiti in catasto. Prezzo base € 36.000,00 (offerta minima € 27.000,00). Data vendita 26/06/2026 ore 09:00. Giudice: Concita Cultrera. Professionista delegato alla vendita: Avv. Dario D'asaro - Email "dario.dasaro@gmail.com"; Tel. 0931/491870; Cell. 338/7072194. Custode Giudiziario: Avv. Dario D'asaro - Email "dario.dasaro@gmail.com"; Tel. 0931/491870; Cell. 338/7072194. Rif. Tribunale di Siracusa - Esecuzione immobiliare post legge 80 n. 157/2012

Tipologia di vendita Giudiziaria
Modalità di vendita Sincrona mista
Termine presentazione offerte 01/01/1900 ore 00:00
Data e ora inizio gara 26/06/2026 ore 09:00
Codice ID astegiudiziarie.it 4347948
€ 36.000

Ti interessa questa vendita?

north_east

Clicca qui per essere indirizzato alla scheda sul sito di provenienza

Bene di astegiudiziarie.it