highlight_off
Riferimento annuncio 157284 info

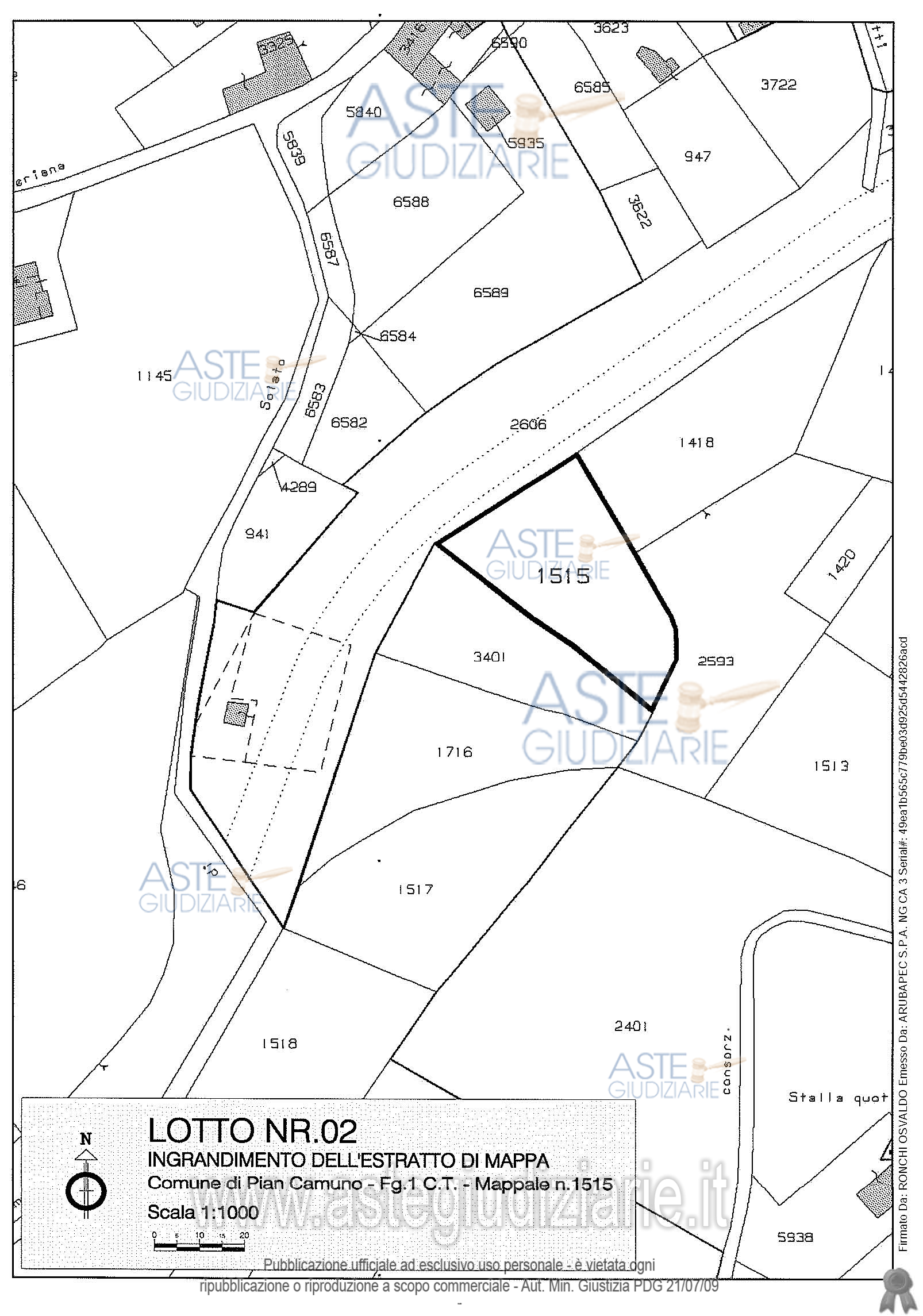
Terreno agricolo Frazione Solato, Via Degli Alpini, 25050 Pian Camuno (BS)

€ 630
Vendita all'asta Senza incanto, con gara telematica asincrona - LOTTO 2: Terreno boschivo. Competono le proporzionali quote delle parti comuni ai sensi di legge. Prezzo base € 630,09 (offerta minima € 472,57). Data inizio operazioni di vendita: 21/05/2026 ore 10:30. Professionista delegato alla vendita Dott. Roberta De Paoli Ambrosi - Email "rdepaoliambrosi@notariato.it". Custode Giudiziario Istituto Vendite Giudiziarie Di Brescia Soccov Srl - Email "ivgvisitebs@gmail.com"; Tel. 030348410. Rif. Tribunale di Brescia - Esecuzione immobiliare post legge 80 n. 33/2016

Tipologia di vendita Giudiziaria
Modalità di vendita Asincrona telematica
Termine presentazione offerte 20/05/2026 ore 12:00
Data e ora inizio gara 21/05/2026 ore 10:30
Codice ID astegiudiziarie.it 4261251
€ 630

Ti interessa questa vendita?

north_east

Clicca qui per essere indirizzato alla scheda sul sito di provenienza

Bene di astegiudiziarie.it