highlight_off
Riferimento annuncio 73400 info

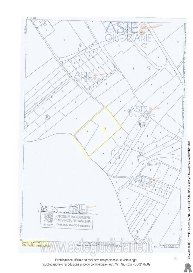
Terreno agricolo 09043 Muravera SU, Italia, 09043 Muravera (SU)

€ 88.000
Vendita all'asta Con incanto - LOTTO UNICO: Quota pari all’intero del diritto di proprietà del terreno con collegamento carrabile da strada “Pisanedda” collegata alla strada comunale “Torre delle Saline” riconducente alla SS 125, della superficie catastale complessiva di mq.13525, leggermente collinare e panoramico nella parte più alta su cui insiste un fabbricato rurale su un unico livello composto da:loggiato-veranda esterno, ripostiglio esterno, pranzo-soggiorno con angolo cottura, disimpegno, tre camere, un bagno . Prezzo base € 88.000,00. Data vendita 03/12/2025 ore 09:00. Giudice Monica Mascia. Professionista delegato alla vendita Not. Roberto Onano - Email "ufficiouniconotai@pec.it"; Tel. 07060222574. Rif. Tribunale di Cagliari - Contenzioso civile n. 615/2016

Tipologia di vendita Giudiziaria
Modalità di vendita Presso il venditore
Termine presentazione domande 01/01/1900 ore 00:00
Data e ora inizio gara 03/12/2025 ore 09:00
Codice ID astegiudiziarie.it 4193367
€ 88.000

Ti interessa questa vendita?

north_east

Clicca qui per essere indirizzato alla scheda sul sito di provenienza

Bene di astegiudiziarie.it