highlight_off
Riferimento annuncio 328917 info

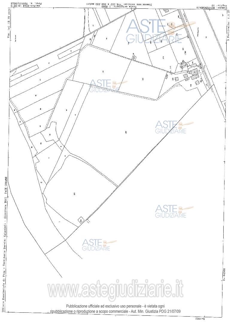
Terreno agricolo località Prati e Gorili, 56040 Montescudaio (PI)

€ 18.750
Vendita all'asta Senza incanto, con gara telematica asincrona - LOTTO 10: Terreno agricolo, posto in Comune di Montescudaio, località Prati e Gorili, non lontano dall'exPodere la Bandita (vd. Lotto 4); è un terreno posto a nord rispetto ad una precedente coltivazione a cava(detta anche cava Ceppatelli), al di là del lago artificiale formato per la sistemazione ambientale dopo talecoltivazione. Prezzo base € 18.750,00 (offerta minima € 18.750,00). Data inizio operazioni di vendita: 22/05/2026 ore 15:30. Custode Giudiziario: Dott. Patrizia Del Tredici - Email "patrizia.deltredici@gmail.com"; Tel. 0586/889356. Curatore: Dott. Patrizia Del Tredici. Rif. Tribunale di Livorno - Liquidazione giudiziale(cci) n. 12/2025

Tipologia di vendita Giudiziaria
Modalità di vendita Asincrona telematica
Termine presentazione offerte 21/05/2026 ore 12:00
Data e ora inizio gara 22/05/2026 ore 15:30
Codice ID astegiudiziarie.it 4347147
€ 18.750

Ti interessa questa vendita?

north_east

Clicca qui per essere indirizzato alla scheda sul sito di provenienza

Bene di astegiudiziarie.it