highlight_off
Riferimento annuncio 223544 info

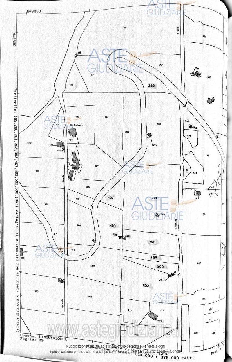
Terreno agricolo c.da piano ciocche, 95015 Linguaglossa (CT)

€ 31.613
Vendita all'asta Senza incanto - LOTTO 5: Terreno in Linguaglossa, C.da Piano Ciocche, della superficie catastale complessiva di mq. 22.511, sul quale insistono alcuni fabbricati in stato di totale abbandono. Il terreno è ubicato tra la quota 1150 e 1160 s.l.m. del versante nord-est etneo, ad una distanza, in linea d'area, di circa 5 km dal centro abitato di Linguaglossa ed è raggiungibile attraverso la strada provinciale “Mareneve”. Trattasi di terreni di natura vulcanica, con affioramenti di roccia lavica. Prezzo base € 31.612,50 (offerta minima € 23.709,37). Data vendita 11/12/2025 ore 17:00. Professionista delegato alla vendita Not. Francesco Grassi Bertazzi - Email "procedureesecutivedelegate@notaiograssibertazzi.it"; Tel. 0954038655. Custode Giudiziario Not. Francesco Grassi Bertazzi - Email "procedureesecutivedelegate@notaiograssibertazzi.it"; Tel. 0954038655. Rif. Tribunale di Catania - Esecuzione immobiliare post legge 80 n. 886/2011

Tipologia di vendita Giudiziaria
Modalità di vendita Presso il venditore
Termine presentazione offerte 01/01/1900 ore 00:00
Data e ora inizio gara 11/12/2025 ore 17:00
Codice ID astegiudiziarie.it 4269395
€ 31.613

Ti interessa questa vendita?

north_east

Clicca qui per essere indirizzato alla scheda sul sito di provenienza

Bene di astegiudiziarie.it