highlight_off
Riferimento annuncio 141800 info

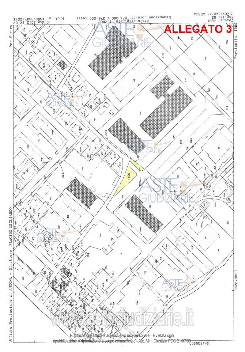
Terreno agricolo Via Cartiere Vecchie - Via Padre Vincenzo Pellegrini, 60035 Jesi (AN)

€ 2.693
Vendita all'asta Senza incanto, con gara telematica asincrona - LOTTO 28: Quota pari a 1/1 della piena proprietà di appezzamento di terreno non edificabile di complessivi 521mq, in due frustoli ad angolo tra Via Cartiere Vecchie e Via Padre Vincenzo Pellegrini. Prezzo base € 2.692,63 (offerta minima € 2.019,47). Data inizio operazioni di vendita: 10/06/2026 ore 10:00. In caso di più offerte valide si procederà a gara che inizierà il 10/06/2026 ore 10:00 e terminerà il 17/06/2026 ore 10:00. Giudice: Dott. Giuliana Filippello. Curatore: Dott. Camillo Catana Vallemani. Soggetto specializzato alla vendita: Aste Giudiziarie Inlinea S.P.A. - Email "vendite@astegiudiziarie.it". Rif. Tribunale di Ancona - Fallimentare (nuovo rito) n. 38/2019

Tipologia di vendita Giudiziaria
Modalità di vendita Asincrona telematica
Termine presentazione offerte 09/06/2026 ore 12:00
Data e ora inizio gara 10/06/2026 ore 10:00
Codice ID astegiudiziarie.it 4247700
€ 2.693

Ti interessa questa vendita?

north_east

Clicca qui per essere indirizzato alla scheda sul sito di provenienza

Bene di astegiudiziarie.it