highlight_off
Riferimento annuncio 158912 info

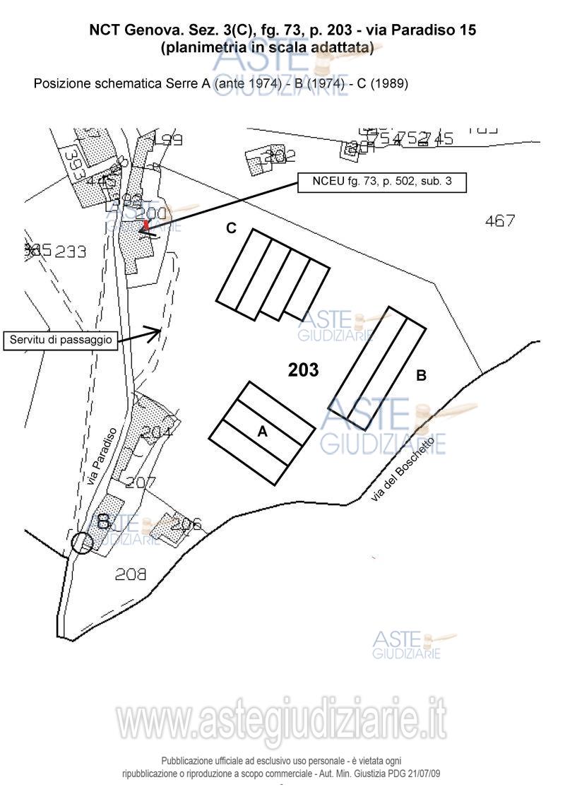
Terreno agricolo via Paradiso 15, 16100 Genova (GE)

€ 39.790
Vendita all'asta Senza incanto, con gara telematica sincrona mista - LOTTO UNICO: Piena proprietà di terreno in Genova, via Paradiso 15. Superficie convenzionale mq. 11000. Terreno non pianeggiante a destinazione orto-irriguo, caratterizzato dalla presenza di alberi e piante. Insistono su di esso tre serre a struttura metallica d'epoca diversa che comprono una superficie di circa mq. 800 l'una. Prezzo base € 39.790,06 (offerta minima € 29.842,55). Data vendita 19/12/2025 ore 14:00. Giudice Dott. Andrea Balba. Professionista delegato alla vendita Avv. Paolo Degola - Email "paolodegola@cevascodegola.com"; Tel. 0108177330. Custode Giudiziario Sovemo Srl - Email "immobiliare@sovemo.com". Rif. Tribunale di Genova - Esecuzione immobiliare post legge 80 n. 263/2020

Tipologia di vendita Giudiziaria
Modalità di vendita Sincrona mista
Termine presentazione offerte 17/12/2025 ore 12:00
Data e ora inizio gara 19/12/2025 ore 14:00
Codice ID astegiudiziarie.it 4262726
€ 39.790

Ti interessa questa vendita?

north_east

Clicca qui per essere indirizzato alla scheda sul sito di provenienza

Bene di astegiudiziarie.it