highlight_off
Riferimento annuncio 332145 info

Terreno agricolo Contrada Reddito degli Angeli, 85023 Forenza (PZ)

€ 2.675.000
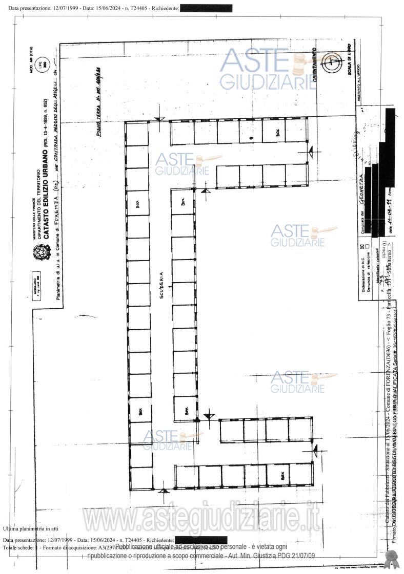
Vendita all'asta Senza incanto, con gara telematica asincrona - LOTTO UNICO: Fondi rustici in Forenza alla contrada Reddito degli Angeli della estensione catastale di ettari 124.28.41 con pertinenziali ed entrostanti fabbricati; i fondi rustici sono censiti in parte al foglio 63 in parte al foglio 64 in parte al foglio 66 in parte al foglio 71 in parte al foglio 72 ed in parte al foglio 73 mentre i fabbricati sono censiti al foglio 72 particella 110; al foglio 73 particelle: 131,132 sub 1,2,3,4,5,138 sub 2,3,4,139 sub 2,157 graffata con le particelle 158,160,161,162 e 169 e 171. Prezzo base € 2.675.000,00 (offerta minima € 2.006.250,00). Data inizio operazioni di vendita: 30/06/2026 ore 13:00. Giudice Annachiara Di Paolo. Professionista delegato alla vendita Not. Francesco Carretta - Email "fcarretta@notariato.it"; Tel. 097283380. Custode Giudiziario Avv. Monica Dea De Luca - Email "avv.monicadeadeluca@gmail.com"; Tel. 0971287426. Rif. Tribunale di Potenza ex Tribunale di Melfi - Esecuzione immobiliare post legge 80 n. 69/2008

Tipologia di vendita Giudiziaria
Modalità di vendita Asincrona telematica
Termine presentazione offerte 29/06/2026 ore 13:00
Data e ora inizio gara 30/06/2026 ore 13:00
Codice ID astegiudiziarie.it 2795430
€ 2.675.000

Ti interessa questa vendita?

north_east

Clicca qui per essere indirizzato alla scheda sul sito di provenienza

Bene di astegiudiziarie.it