highlight_off
Riferimento annuncio 141782 info

Terreno agricolo Via Marconi, 86, 60015 Falconara Marittima (AN)

€ 8.409
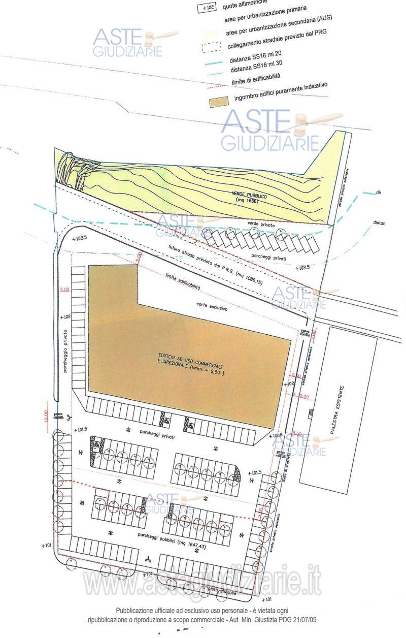
Vendita all'asta Senza incanto, con gara telematica asincrona - LOTTO 10: Quota pari a 1/1 della piena proprietà di area a verde e parcheggio privato nonchè sedime stradale. Prezzo base € 8.408,57 (offerta minima € 6.306,43). Data inizio operazioni di vendita: 10/06/2026 ore 10:00. In caso di più offerte valide si procederà a gara che inizierà il 10/06/2026 ore 10:00 e terminerà il 17/06/2026 ore 10:00. Giudice: Dott. Giuliana Filippello. Curatore: Dott. Camillo Catana Vallemani. Soggetto specializzato alla vendita: Aste Giudiziarie Inlinea S.P.A. - Email "vendite@astegiudiziarie.it". Rif. Tribunale di Ancona - Fallimentare (nuovo rito) n. 38/2019

Tipologia di vendita Giudiziaria
Modalità di vendita Asincrona telematica
Termine presentazione offerte 09/06/2026 ore 12:00
Data e ora inizio gara 10/06/2026 ore 10:00
Codice ID astegiudiziarie.it 4247682
€ 8.409

Ti interessa questa vendita?

north_east

Clicca qui per essere indirizzato alla scheda sul sito di provenienza

Bene di astegiudiziarie.it