highlight_off
Riferimento annuncio 324197 info

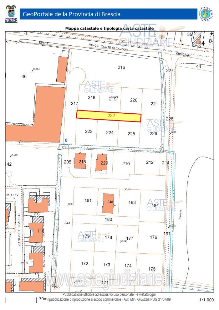
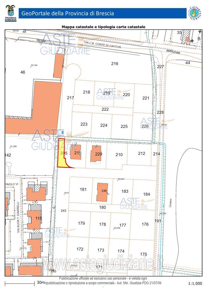
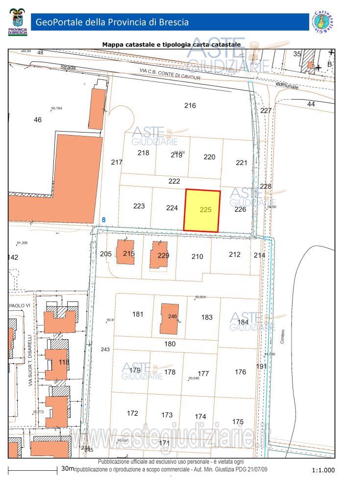
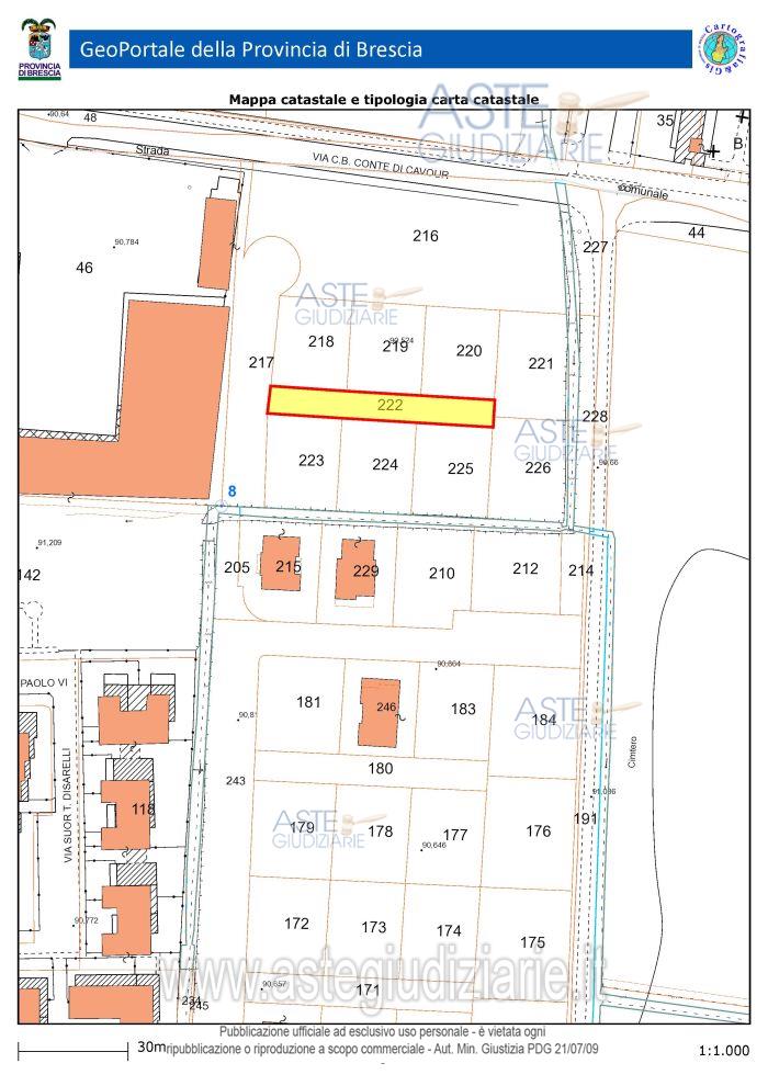
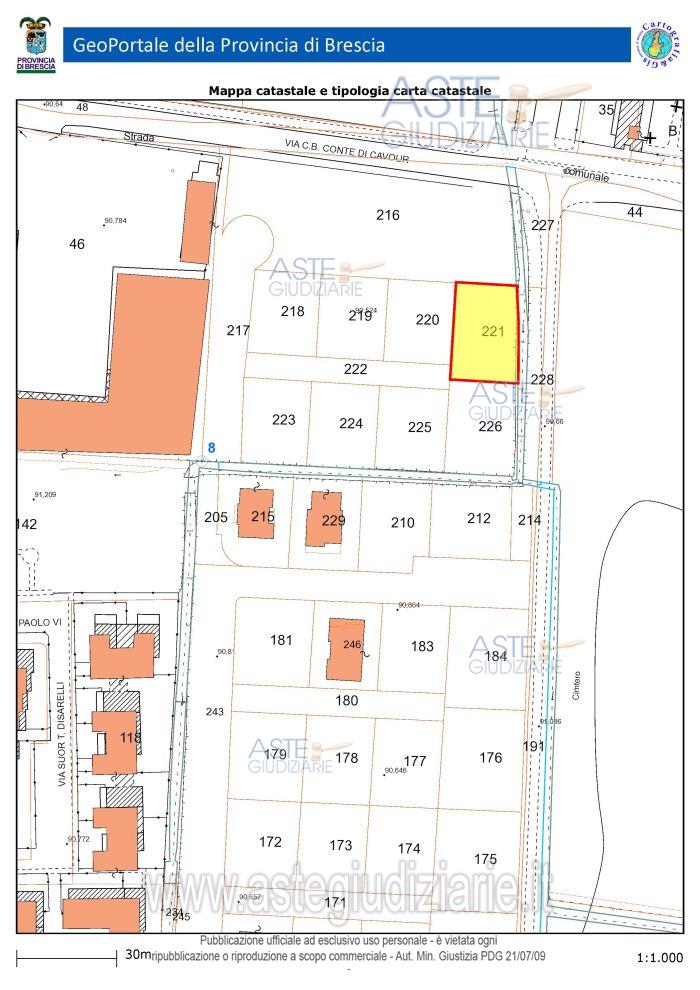
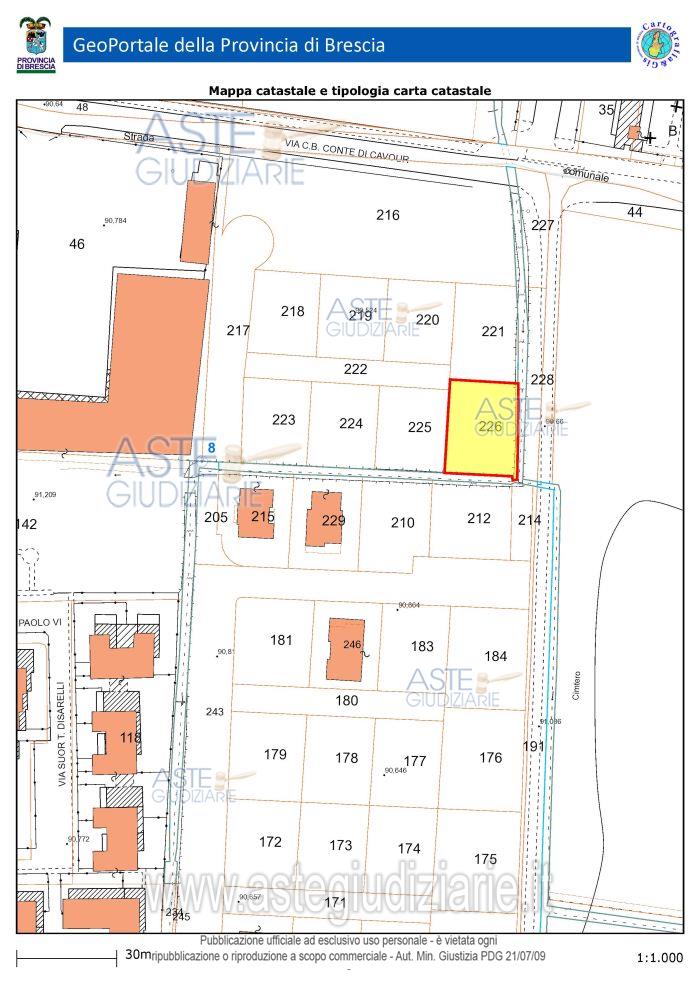
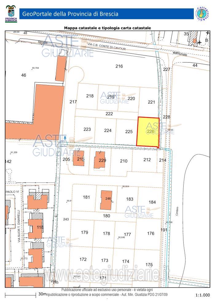
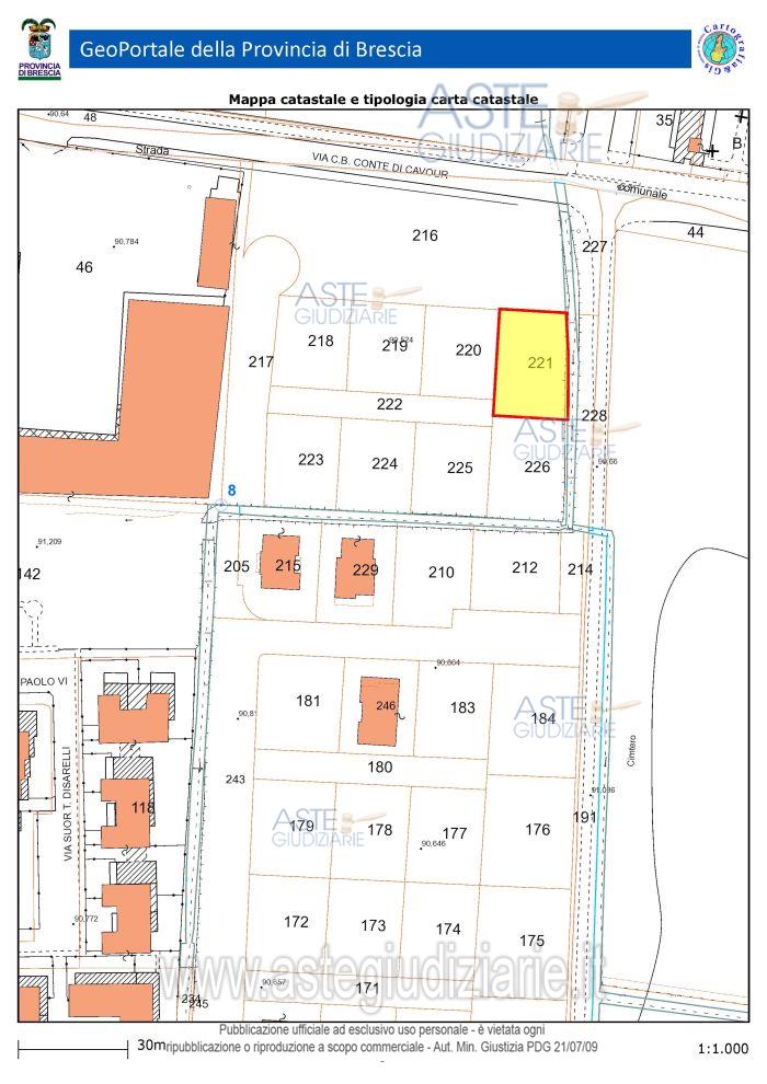
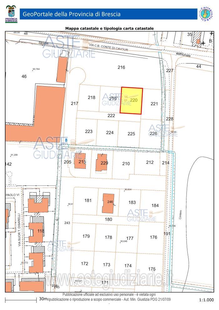
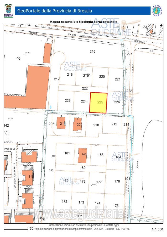
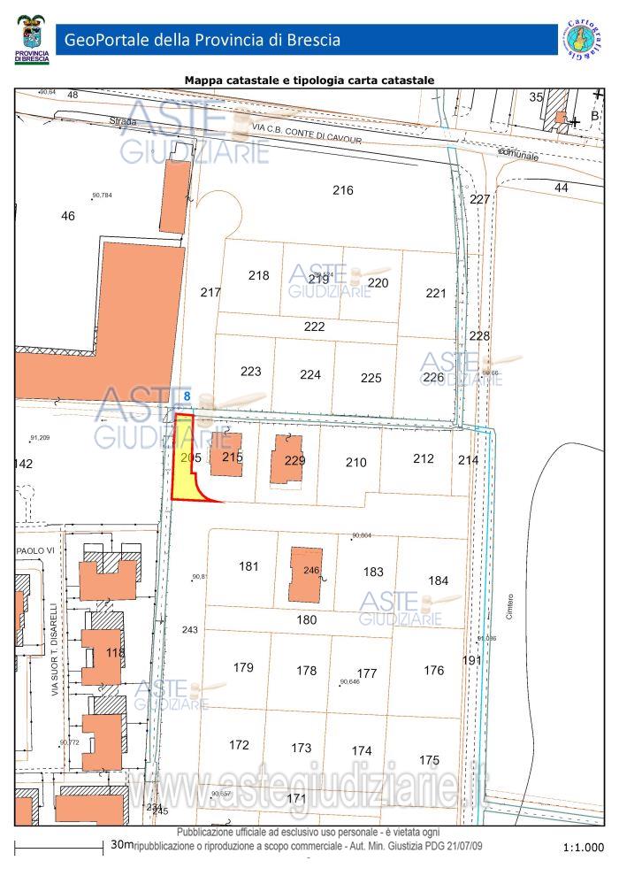
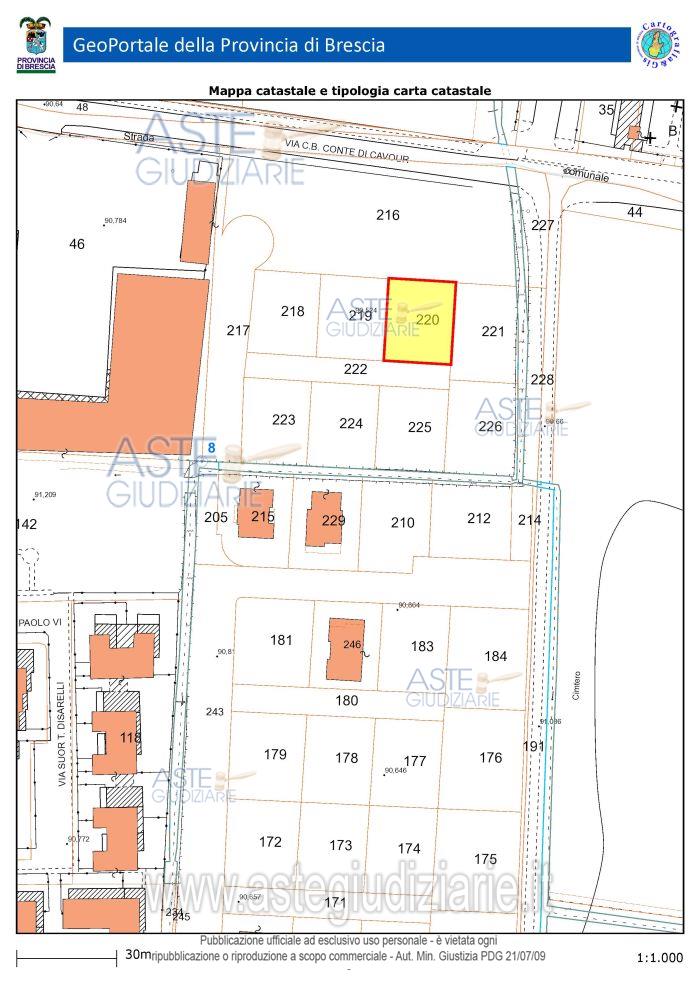
Terreno agricolo Frazione Bargnano, 25030 Corzano (BS)

€ 105.300
Vendita all'asta Senza incanto, con gara telematica asincrona - LOTTO 8: Terreni edificabili non urbanizzati. Quota di 1/2 di proprietà di terreni edificabili non urbanizzati. Prezzo base € 105.300,00 (offerta minima € 78.975,00). Data inizio operazioni di vendita: 23/06/2026 ore 14:00. Giudice Gianluigi Canali. Professionista delegato alla vendita Dott. Roberta Tegoletti. Custode Giudiziario Dott. Roberta Tegoletti - Email "r.tegoletti@lostudiotelematico.it"; Tel. 0302425912. Rif. Tribunale di Brescia - Espropriazione immobiliare (cartabia) n. 278/2024

Tipologia di vendita Giudiziaria
Modalità di vendita Asincrona telematica
Termine presentazione offerte 22/06/2026 ore 12:00
Data e ora inizio gara 23/06/2026 ore 14:00
Codice ID astegiudiziarie.it 4343507
€ 105.300

Ti interessa questa vendita?

north_east

Clicca qui per essere indirizzato alla scheda sul sito di provenienza

Bene di astegiudiziarie.it