highlight_off
Riferimento annuncio 331578 info

Negozio Via Umberto I - ViaTempio, 08048 Tortolì (OG)

153,00
1
€ 50.710
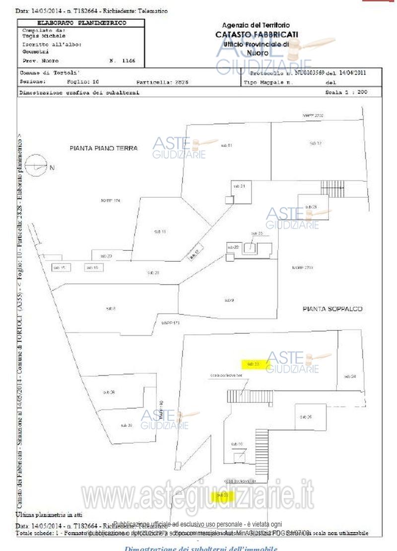
Vendita all'asta Senza incanto - LOTTO UNICO: Comune di Tortolì (OG), N.C.E.U. foglio 10, particella 2828, sub 23, cat. C/1, cl. 4, RC euro 2.710,31, locale commerciale (bar – negozio) + parti comuni, posto al piano soppalcato con ingresso dalla galleria al piano terra, superficie utile mq 153,00. Prezzo base € 50.710,00 (offerta minima € 50.710,00). Data vendita 27/05/2026 ore 13:30. Curatore: Dott. Paolo Meloni - Email "paolomelonistudio@gmail.com"; Tel. 0782/570420; Cell. 339/8822850. Rif. Tribunale di Lanusei - Fallimentare n. 5/2013

Superficie 153,00 mq
Vani
Bagni
Piano 1

Tipologia di vendita Giudiziaria
Modalità di vendita Presso il venditore
Termine presentazione offerte 01/01/1900 ore 00:00
Data e ora inizio gara 27/05/2026 ore 13:30
Codice ID astegiudiziarie.it 305900
153,00
1
€ 50.710

Ti interessa questa vendita?

north_east

Clicca qui per essere indirizzato alla scheda sul sito di provenienza

Bene di astegiudiziarie.it