highlight_off
Riferimento annuncio 310284 info

Negozio c.da Santa Loja, 85050 Tito (PZ)

69,00
0
€ 40.219
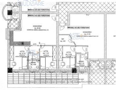
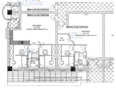
Vendita all'asta Senza incanto - LOTTO 1: diritti pari all’intero (1/1) in piena proprietà di un locale commerciale sito nel Comune di Tito (PZ) alla C.da Santa Loja, piano terra, costituito da un locale adibito alla vendita, tre ripostigli, un bagno con relativo antibagno. Prezzo base € 40.218,75 (offerta minima € 30.164,06). Data vendita 09/07/2026 ore 10:00. Professionista delegato alla vendita: Avv. Francesco Missanelli - Email "francescomissanelli@gmail.com"; Tel. 0971/443116. Curatore: Avv. Antonio Lomonaco - Email "avv.lomonacoantonio@libero.it"; Tel. 0971/476444. Custode Giudiziario: Avv. Antonio Lomonaco - Email "avv.lomonacoantonio@libero.it"; Tel. 0971/476444. Rif. Tribunale di Potenza - Esecuzione immobiliare post legge 80 n. 58/2020

Superficie 69,00 mq
Vani
Bagni
Piano 0

Tipologia di vendita Giudiziaria
Modalità di vendita Presso il venditore
Termine presentazione offerte 01/01/1900 ore 00:00
Data e ora inizio gara 09/07/2026 ore 10:00
Codice ID astegiudiziarie.it 4332007
69,00
0
€ 40.219

Ti interessa questa vendita?

north_east

Clicca qui per essere indirizzato alla scheda sul sito di provenienza

Bene di astegiudiziarie.it