highlight_off
Riferimento annuncio 305888 info

Negozio SR66, Pistoia PT, Italia, 51028 San Marcello Piteglio (PT)

2,00
70,00
1
0
€ 35.500
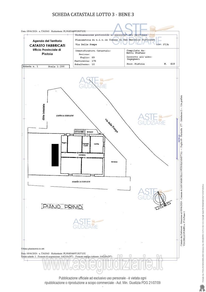
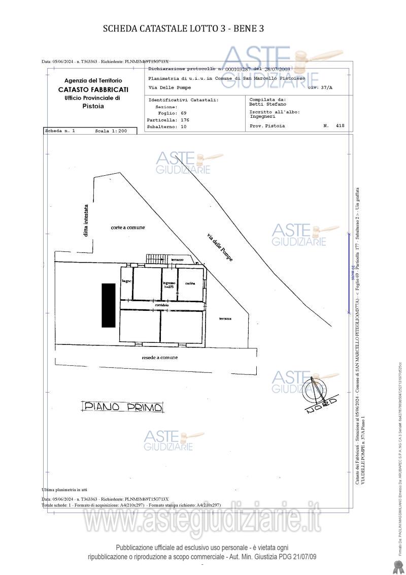
Vendita all'asta Senza incanto, con gara telematica asincrona - LOTTO 2: Unità immobiliare ad uso negozio composto da due vani principali di cui uno suddiviso conelementi separatori tipo “open space” non a tutta altezza, realizzati in muratura di mattoni facciavista, locale w.c., locale ripostiglio, in parte sottoscala, da cui si accede ad un vano scannafosso. L’accesso al negozio avviene mediante un passaggio a comune che collega il fabbricato di cui faparte il negozio stesso con la Strada Regionale 66. Prezzo base € 35.500,00 (offerta minima € 26.625,00). Data inizio operazioni di vendita: 02/07/2026 ore 16:00. Professionista delegato alla vendita Avv. Giulia Melani. Custode Giudiziario Isveg - Email "prenota.pt@isveg.it". Rif. Tribunale di Pistoia - Espropriazione immobiliare (cartabia) n. 163/2023

Superficie 70,00 mq
Vani 2,00
Bagni 1
Piano 0

Tipologia di vendita Giudiziaria
Modalità di vendita Asincrona telematica
Termine presentazione offerte 01/07/2026 ore 12:00
Data e ora inizio gara 02/07/2026 ore 16:00
Codice ID astegiudiziarie.it 4328451
2,00
70,00
1
0
€ 35.500

Ti interessa questa vendita?

north_east

Clicca qui per essere indirizzato alla scheda sul sito di provenienza

Bene di astegiudiziarie.it