highlight_off
Riferimento annuncio 50385 info

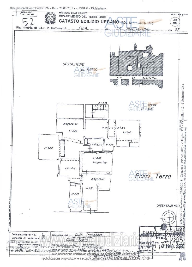
Negozio Via la Nunziatina, 19, 56125 Pisa PI, Italia, 56100 Pisa (PI)

455,00
0
€ 100.000
Vendita all'asta Senza incanto, con gara telematica sincrona mista - LOTTO UNICO: La piena proprietà dell'unità immobiliare ad uso negozio, oltre a due locali ad uso laboratorio artigianale ed un magazzino, tutti posti al piano terra di un maggior fabbricato sito in Pisa, Via La Nunziatina numeri civici 19/25/27. Prezzo base € 100.000,00 (offerta minima € 75.000,00). Data vendita 10/06/2026 ore 15:00. Giudice: Marco Zinna. Professionista delegato alla vendita: Avv. Alisia Cecconi - Email "avvocatocecconi@hotmail.it"; Cell. 339/6231706. Custode Giudiziario: Dott. Cosimo Erriquez - Email "prenotazionipisa@astagiudiziaria.com"; Tel. 050/554790; Cell. 346/8748140. Rif. Tribunale di Pisa - Esecuzione immobiliare post legge 80 n. 284/2017

Superficie 455,00 mq
Vani
Bagni
Piano 0

Tipologia di vendita Giudiziaria
Modalità di vendita Sincrona mista
Termine presentazione offerte 09/06/2026 ore 13:00
Data e ora inizio gara 10/06/2026 ore 15:00
Codice ID astegiudiziarie.it 2806719
455,00
0
€ 100.000

Ti interessa questa vendita?

north_east

Clicca qui per essere indirizzato alla scheda sul sito di provenienza

Bene di astegiudiziarie.it