highlight_off
Riferimento annuncio 291777 info

Negozio Via Cappuccinelle, 11, 90134 Palermo PA, Italia, 90100 Palermo (PA)

73,00
0
€ 50.442
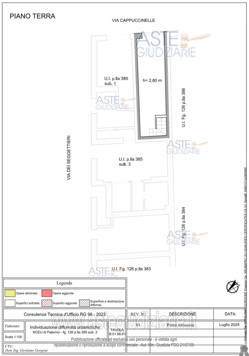
Vendita all'asta Senza incanto, con gara telematica sincrona mista - LOTTO 2: Piena ed intera proprietà di negozio con accesso da via Cappuccinelle n.11, sito al piano terra e primo ammezzato, identificato al N.C.E.U. del Comune di Palermo al foglio 126, particella 385, sub. 2, categoria C/1, Classe 6, Consistenza 31 mq, Superficie catastale 73 mq. Prezzo base € 50.441,66 (offerta minima € 37.831,24). Data vendita 13/11/2025 ore 09:00. Professionista delegato alla vendita Avv. Daniele Fresta - Email "videcadeleghe@gmail.com"; Cell. 3517658698; Tel. 0917285446. Custode Giudiziario Avv. Daniele Fresta - Email "videcadeleghe@gmail.com"; Cell. 3517658698; Tel. 0917285446. Rif. Tribunale di Palermo - Esecuzione immobiliare post legge 80 n. 98/2023

Superficie 73,00 mq
Vani
Bagni
Piano 0

Tipologia di vendita Giudiziaria
Modalità di vendita Sincrona mista
Termine presentazione offerte 01/01/1900 ore 00:00
Data e ora inizio gara 13/11/2025 ore 09:00
Codice ID astegiudiziarie.it 4317498
73,00
0
€ 50.442

Ti interessa questa vendita?

north_east

Clicca qui per essere indirizzato alla scheda sul sito di provenienza

Bene di astegiudiziarie.it