highlight_off
Riferimento annuncio 291776 info

Negozio Via Cappuccinelle, 9, 90138 Palermo PA, Italia, 90100 Palermo (PA)

15,00
0
€ 13.078
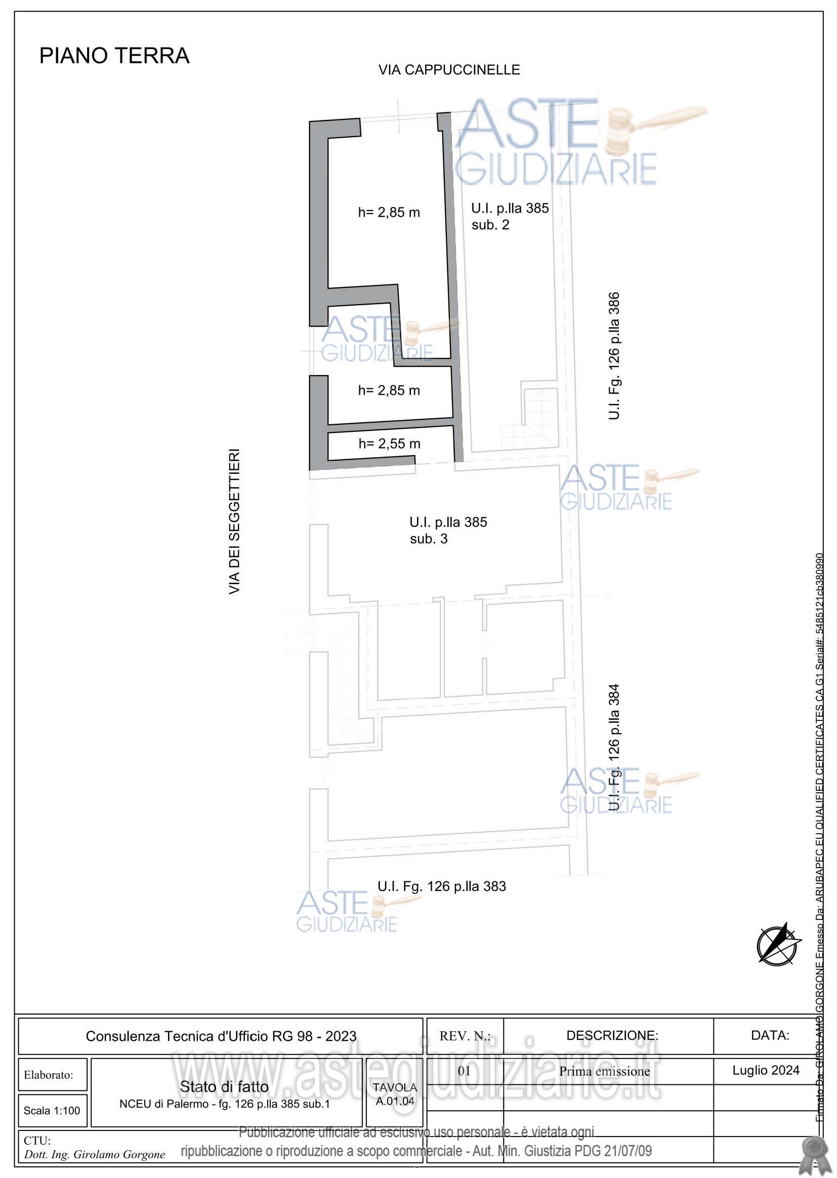
Vendita all'asta Senza incanto, con gara telematica sincrona mista - LOTTO 1: Piena ed intera proprietà di negozio con accesso da via Cappuccinelle n.9, sito al piano terra, identificato al N.C.E.U. del Comune di Palermo al foglio 126, particella 385, sub. 1, categoria C/1, Classe 6, Consistenza 11 mq, Superficie catastale 15 mq. Prezzo base € 13.077,87 (offerta minima € 9.808,40). Data vendita 13/11/2025 ore 09:00. Professionista delegato alla vendita Avv. Daniele Fresta - Email "videcadeleghe@gmail.com"; Cell. 3517658698; Tel. 0917285446. Custode Giudiziario Avv. Daniele Fresta - Email "videcadeleghe@gmail.com"; Cell. 3517658698; Tel. 0917285446. Rif. Tribunale di Palermo - Esecuzione immobiliare post legge 80 n. 98/2023

Superficie 15,00 mq
Vani
Bagni
Piano 0

Tipologia di vendita Giudiziaria
Modalità di vendita Sincrona mista
Termine presentazione offerte 01/01/1900 ore 00:00
Data e ora inizio gara 13/11/2025 ore 09:00
Codice ID astegiudiziarie.it 4317497
15,00
0
€ 13.078

Ti interessa questa vendita?

north_east

Clicca qui per essere indirizzato alla scheda sul sito di provenienza

Bene di astegiudiziarie.it