highlight_off
Riferimento annuncio 316845 info

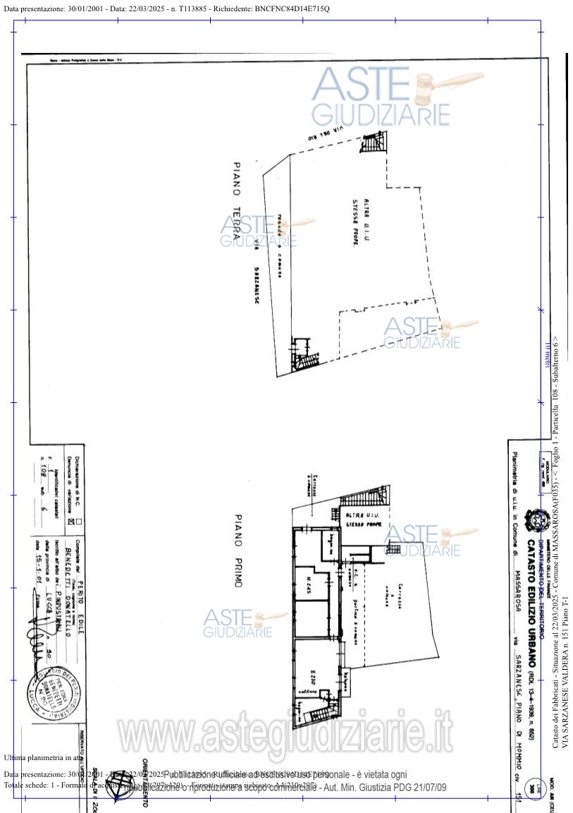
Negozio V. Sarzanese, 7953, 55054 Piano di Mommio LU, Italia, 55054 Massarosa (LU)

511,00
0
€ 562.650
Vendita all'asta Senza incanto, con gara telematica sincrona mista - LOTTO UNICO: Piena proprietà di un lotto formato dai seguenti beni: Bene N°1 - Unità immobiliare a destinazione commerciale ristorativa posto al piano terreno e seminterrato per un totale di circa mq. 305; Bene N°2 - Unità immobiliare a destinazione abitativa posta al piano primo. di circa mq.110; Bene N° 3 - Unità immobiliare a destinazione abitativa posta al piano secondo di circa mq.96 . Prezzo base € 562.650,00 (offerta minima € 422.000,00). Data vendita 16/12/2025 ore 15:00. Professionista delegato alla vendita Dott. Marco Nottoli - Email "marconottoli@landuccinottoli.com"; Tel. 0583308255. Custode Giudiziario Ivg Lucca Srl - Email "info@ivglucca.com"; Tel. 0583418555. Rif. Tribunale di Lucca - Espropriazione immobiliare (cartabia) n. 169/2024

Superficie 511,00 mq
Vani
Bagni
Piano 0

Tipologia di vendita Giudiziaria
Modalità di vendita Sincrona mista
Termine presentazione offerte 15/12/2025 ore 12:00
Data e ora inizio gara 16/12/2025 ore 15:00
Codice ID astegiudiziarie.it 4337247
511,00
0
€ 562.650

Ti interessa questa vendita?

north_east

Clicca qui per essere indirizzato alla scheda sul sito di provenienza

Bene di astegiudiziarie.it