highlight_off
Riferimento annuncio 324135 info

Negozio Corso Giuseppe Mazzini, 189, 47121 Forlì FC, Italia, 47100 Forlì (FC)

311,00
0
€ 681.800
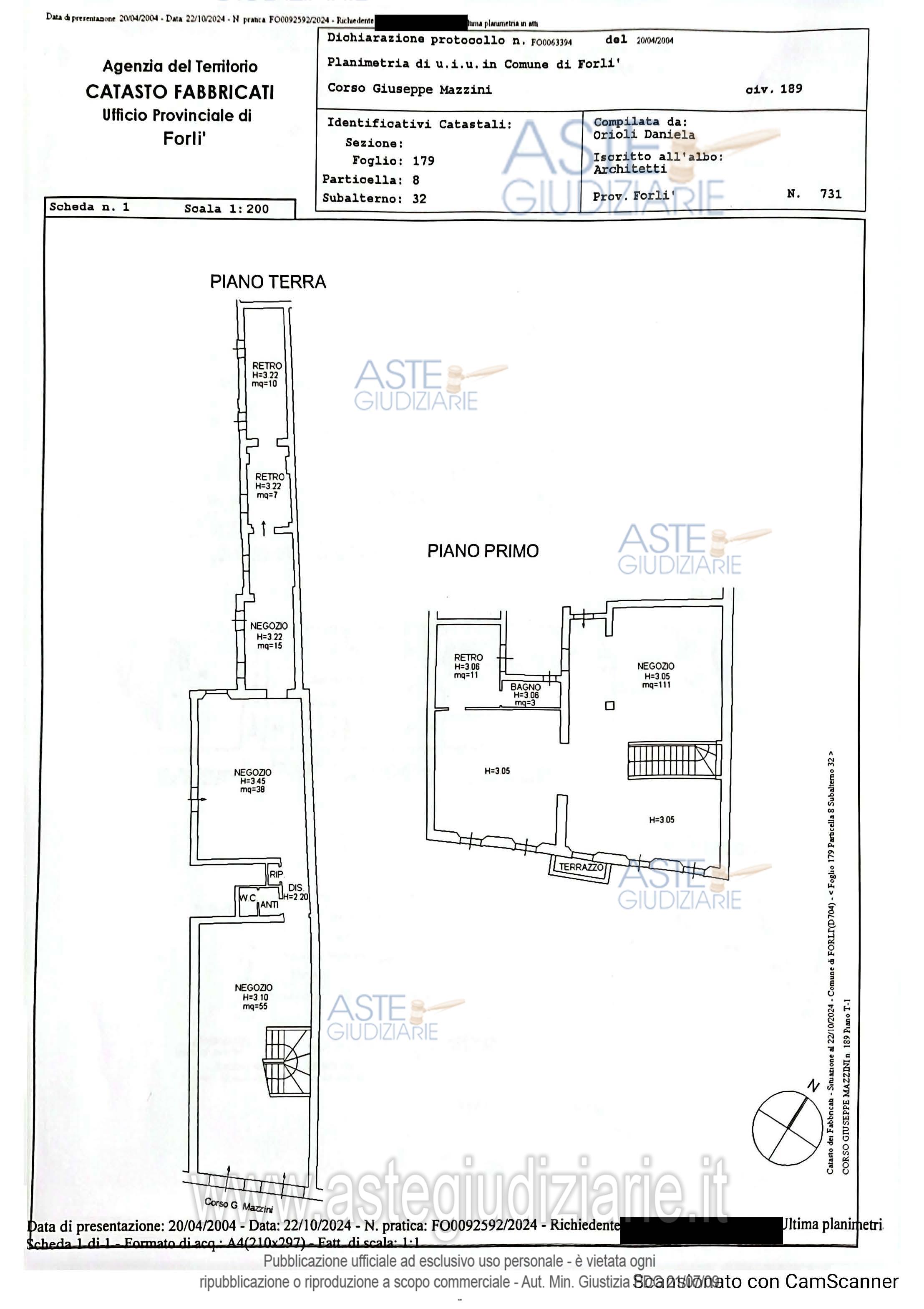
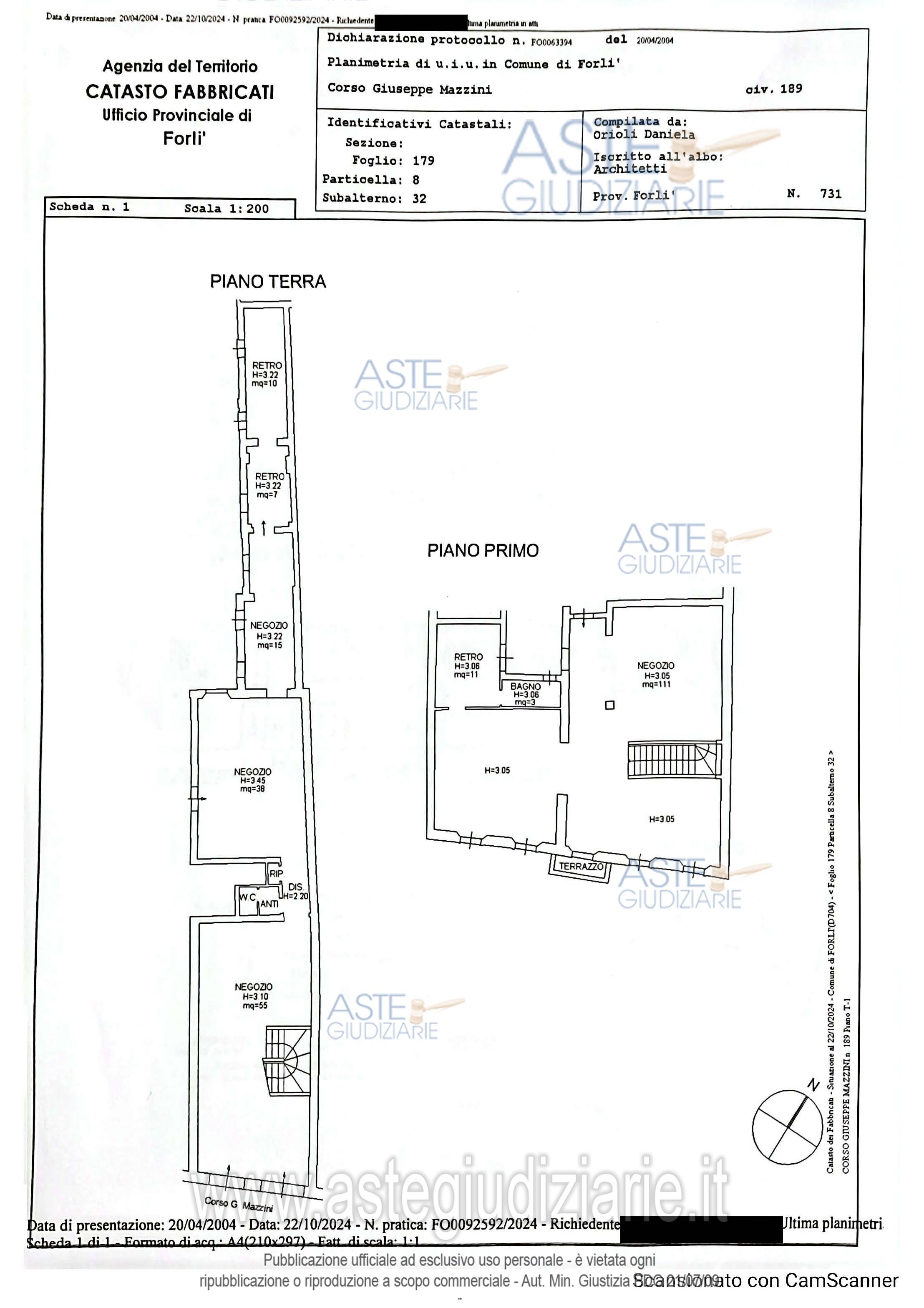
Vendita all'asta Senza incanto, con gara telematica asincrona - LOTTO UNICO: Negozio per vendita al dettaglio e relativi servizi (vani ad uso retro, ripostigli, bagni) distribuito su due livelli e locale ad uso magazzino al piano terra. Sup. commerciale totale 311 mq. Libero. Prezzo base € 681.800,00 (offerta minima € 511.350,00). Data inizio operazioni di vendita: 17/03/2026 ore 15:00. Giudice Dott. Danilo Maffa. Professionista delegato alla vendita Dott. Oscare Santi - Email "oscare@studiosantirossi.it"; Tel. 054331655. Custode Giudiziario Rino Fulvio Marchi - Email "ivg.forli@gmail.com"; Tel. 0543473480. Rif. Tribunale di Forlì - Espropriazione immobiliare (cartabia) n. 159/2024

Superficie 311,00 mq
Vani
Bagni
Piano 0

Tipologia di vendita Giudiziaria
Modalità di vendita Asincrona telematica
Termine presentazione offerte 16/03/2026 ore 12:00
Data e ora inizio gara 17/03/2026 ore 15:00
Codice ID astegiudiziarie.it 4343191
311,00
0
€ 681.800

Ti interessa questa vendita?

north_east

Clicca qui per essere indirizzato alla scheda sul sito di provenienza

Bene di astegiudiziarie.it