highlight_off
Riferimento annuncio 221376 info

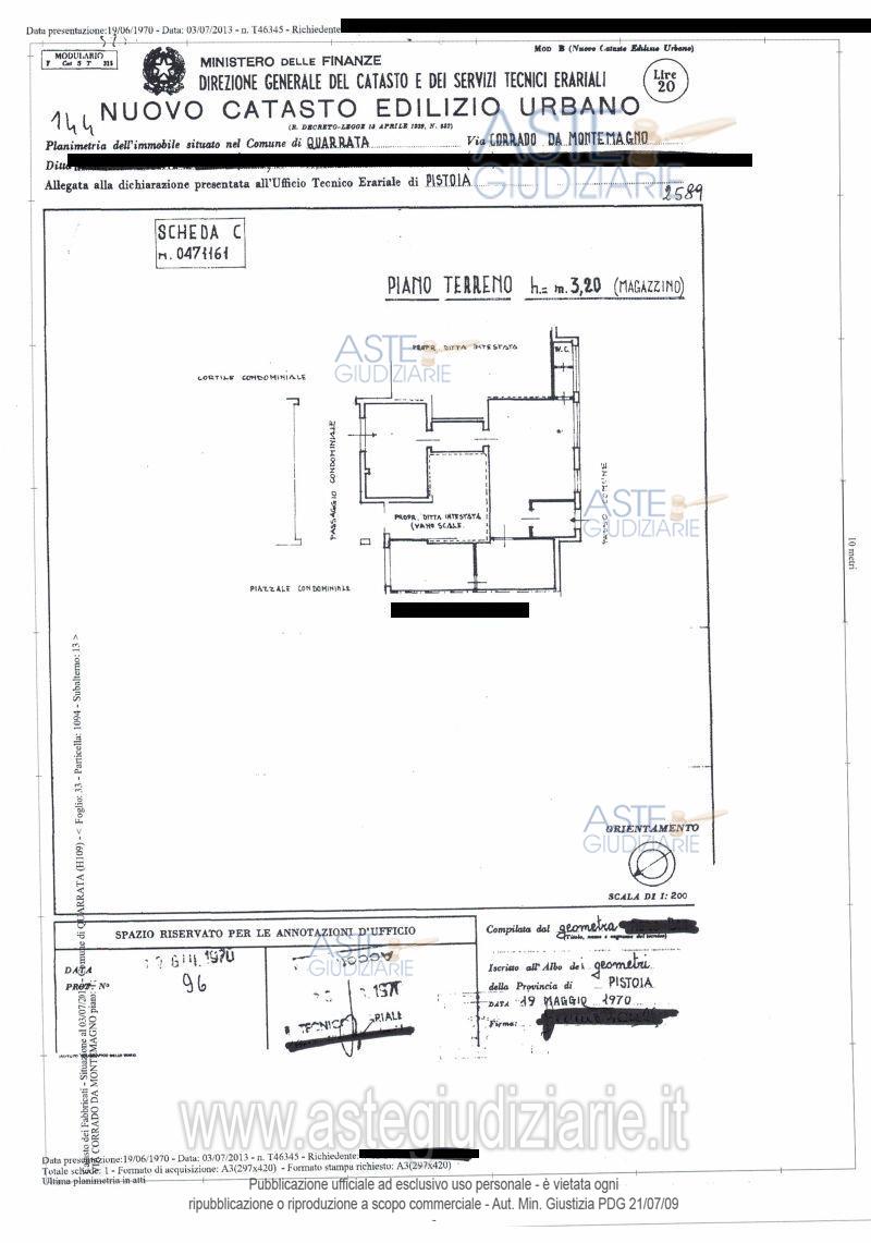
Magazzino Via Corrado da Montemagno, 59B, 51039 Quarrata PT, Italia, 51039 Quarrata (PT)

616,00
0
€ 263.680
Vendita all'asta Senza incanto, con gara telematica asincrona - LOTTO 1: Diritti di piena proprietà su n. 3 fondi a destinazione mista commerciale/magazzini posti al piano terra di fabbricato condominiale. Prezzo base € 263.680,00 (offerta minima € 197.800,00). Data inizio operazioni di vendita: 19/11/2025 ore 16:00. Professionista delegato alla vendita Dott. Chiara Biagioni - Tel. 057327368. Custode Giudiziario Isveg - Email "prenota.pt@isveg.it"; Tel. 0573308256. Rif. Tribunale di Pistoia - Esecuzione immobiliare post legge 80 n. 63/2009

Superficie 616,00 mq
Vani
Bagni
Piano 0

Tipologia di vendita Giudiziaria
Modalità di vendita Asincrona telematica
Termine presentazione offerte 18/11/2025 ore 12:00
Data e ora inizio gara 19/11/2025 ore 16:00
Codice ID astegiudiziarie.it 4267238
616,00
0
€ 263.680

Ti interessa questa vendita?

north_east

Clicca qui per essere indirizzato alla scheda sul sito di provenienza

Bene di astegiudiziarie.it