Riferimento annuncio 228651
        
    
    Laboratorio Via Capponi 82/Q, 25068 Sarezzo BS, Italia, 25068 Sarezzo (BS)
                
                360,00
            
            
                
                0
            
        
€ 132.000    
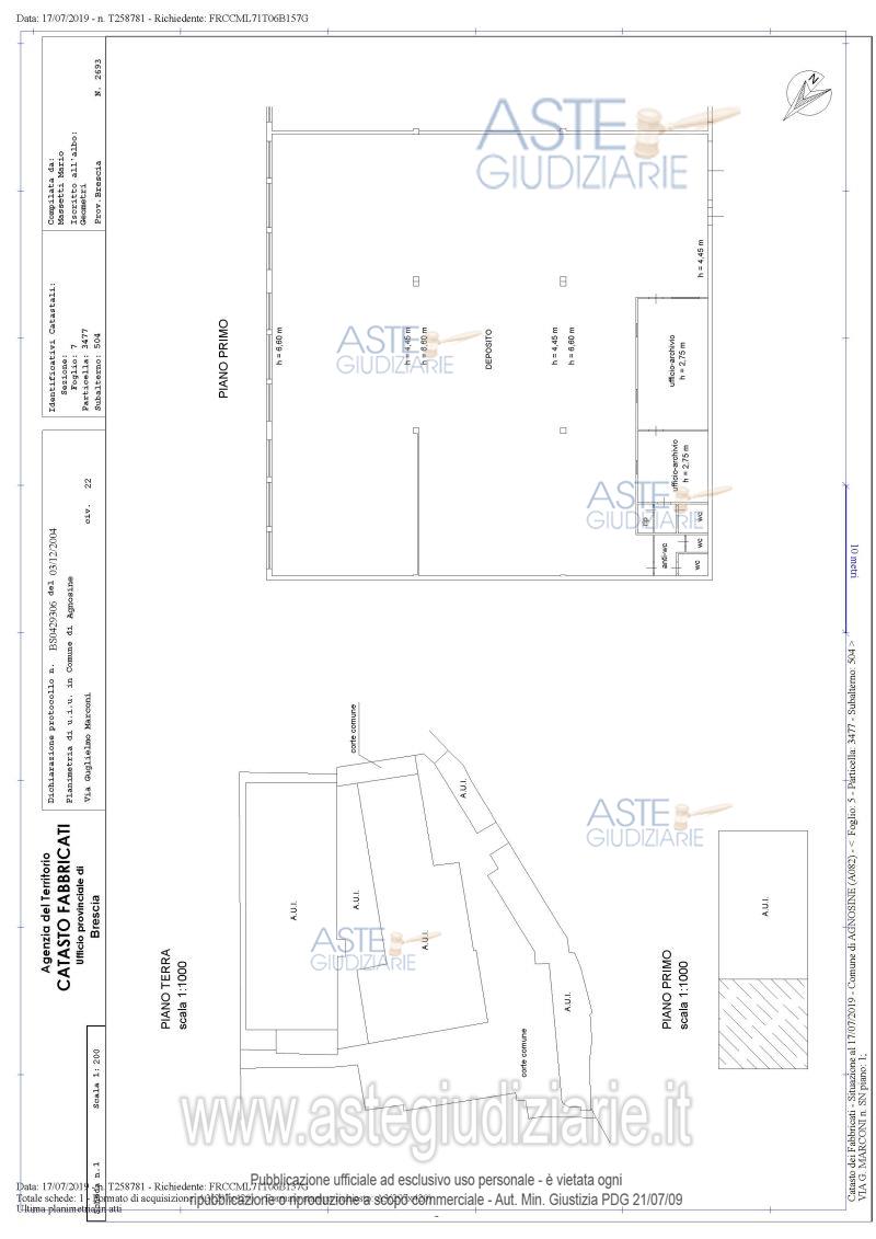
                Vendita all'asta Senza incanto, con gara telematica asincrona - LOTTO 2:  Piena proprietà di unità immobiliare adibita a laboratorio. Prezzo base € 132.000,00 (offerta minima € 99.000,00). Data inizio operazioni di vendita: 11/12/2025 ore 09:30. Professionista delegato alla vendita Not. Gianluca Rosa - Email "grosa@notariato.it"; Tel. 030222849. Custode Giudiziario Not. Gianluca Rosa - Email "visiteimmobili@anpebrescia.it".  Rif. Tribunale di Brescia - Esecuzione immobiliare post legge 80 n. 76/2019
            
   
| Superficie | 360,00 mq | 
|---|---|
| Vani | |
| Bagni | |
| Piano | 0 | 
| Tipologia di vendita | Giudiziaria | 
|---|---|
| Modalità di vendita | Asincrona telematica | 
| Termine presentazione offerte | 01/01/1900 ore 00:00 | 
| Data e ora inizio gara | 11/12/2025 ore 09:30 | 
 
                         
                         
                         
                         
                         
                         
                         
                         
                         
                         
                         
                         
                         
                         
                         
                         
                         
                         
                         
                         
                         
                         
                        