highlight_off
Riferimento annuncio 330300 info

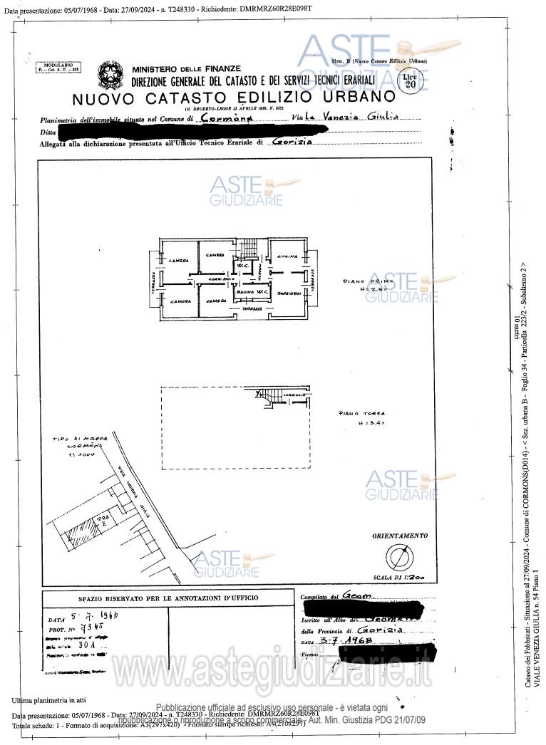
Laboratorio Viale Venezia Giulia 54, 34071 Cormons (GO)

325,00
0
€ 109.990
Vendita all'asta Senza incanto, con gara telematica sincrona mista - LOTTO 2: Edificio costituito da LABORATORIO ARTIGIANALE al piano terra e da ABITAZIONE al primo piano per la quota di 1/1 di piena proprietà, della superficie commerciale di 228,90 mq (piano terra superficie lorda 163,50 mq corrispondente a sup. commerciale 65,40 mq e abitazione superficie commerciale 163,50 mq) oltre a TERRENO RESIDENZIALE della superficie commerciale di 96,00 mq per la quota di 1/4 p.i. (cortile in comproprietà). Prezzo base € 109.990,00 (offerta minima € 82.492,50). Data vendita 19/05/2026 ore 11:30. Giudice: Valeria Zingaro. Professionista delegato alla vendita: Avv. Michaela Trombetta - Email "avv.michaela.trombetta@tin.it"; Cell. 347/3676036. Custode Giudiziario: Michaela Trombetta. Rif. Tribunale di Gorizia - Espropriazione immobiliare (cartabia) n. 53/2024

Superficie 325,00 mq
Vani
Bagni
Piano 0

Tipologia di vendita Giudiziaria
Modalità di vendita Sincrona mista
Termine presentazione offerte 15/05/2026 ore 12:00
Data e ora inizio gara 19/05/2026 ore 11:30
Codice ID astegiudiziarie.it 4348070
325,00
0
€ 109.990

Ti interessa questa vendita?

north_east

Clicca qui per essere indirizzato alla scheda sul sito di provenienza

Bene di astegiudiziarie.it