highlight_off
Riferimento annuncio 325861 info

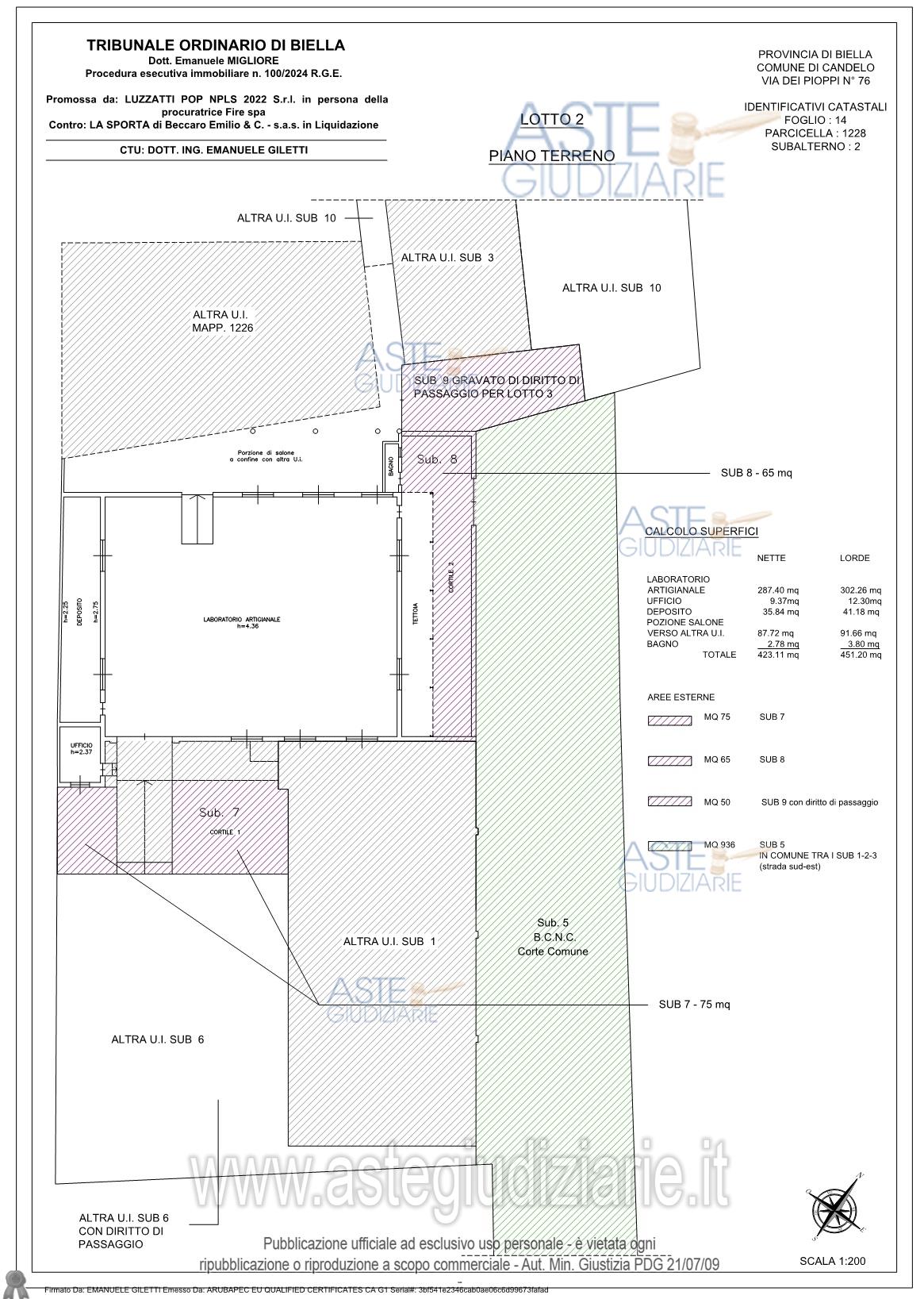
Laboratorio Via Dei Pioppi 76, 13878 Candelo (BI)

50,00
566,00
0
€ 47.250
Vendita all'asta Senza incanto, con gara telematica asincrona - LOTTO 2: Il lotto posto in vendita è composto da: Rif. 3 - Capannone ad uso artigianale, indipendente, con accesso in comune ad altri 2 fabbricati, composto da locale ad uso artigianale, con tettoia sul lato sud, locale ufficio, locale deposito sul lato nord, tettoia sul lato est, con cortile, bagno, locale deposito sul lato ovest. Rif. 4 - area urbana. Prezzo base € 47.250,00 (offerta minima € 35.437,50). Data inizio operazioni di vendita: 08/07/2026 ore 16:00. Giudice: Emanuele Migliore. Professionista delegato alla vendita: Avv. Giovanni Bonino - Email "info@biellaaste.it"; Tel. 015/2523705. Custode Giudiziario: Avv. Giovanni Bonino - Email "info@biellaaste.it"; Tel. 015/2523705. Rif. Tribunale di Biella - Espropriazione immobiliare (cartabia) n. 100/2024

Superficie 566,00 mq
Vani 50,00
Bagni
Piano 0

Tipologia di vendita Giudiziaria
Modalità di vendita Asincrona telematica
Termine presentazione offerte 01/01/1900 ore 00:00
Data e ora inizio gara 08/07/2026 ore 16:00
Codice ID astegiudiziarie.it 4344784
50,00
566,00
0
€ 47.250

Ti interessa questa vendita?

north_east

Clicca qui per essere indirizzato alla scheda sul sito di provenienza

Bene di astegiudiziarie.it