highlight_off
Riferimento annuncio 329803 info

Garage o Posto auto Largo Luigi Antonelli, 25, 00145 Roma RM, Italia, 00100 Roma (RM)

1,00
23,08
0
€ 27.000
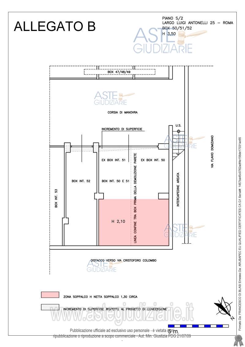
Vendita all'asta Senza incanto, con gara telematica asincrona - LOTTO 2: box auto sito in Roma (RM), Largo Luigi Antonelli n. 25, piano S2, distinto con l’int. 52, composto da un ambiente unico per complessivi mq 23,08 circa convenzionali. Prezzo base € 27.000,00 (offerta minima € 20.250,00). Data inizio operazioni di vendita: 11/06/2026 ore 14:00. Giudice Dott. Giuseppe Lauropoli. Professionista delegato alla vendita Avv. Alessandra Torelli. Custode Giudiziario Ivg Di Roma Srl - Email "pvp@visiteivgroma.it". Rif. Tribunale di Roma - Esecuzione immobiliare post legge 80 n. 29/2022

Superficie 23,08 mq
Vani 1,00
Bagni
Piano 0

Tipologia di vendita Giudiziaria
Modalità di vendita Asincrona telematica
Termine presentazione offerte 01/01/1900 ore 00:00
Data e ora inizio gara 11/06/2026 ore 14:00
Codice ID astegiudiziarie.it 4347188
1,00
23,08
0
€ 27.000

Ti interessa questa vendita?

north_east

Clicca qui per essere indirizzato alla scheda sul sito di provenienza

Bene di astegiudiziarie.it