highlight_off
Riferimento annuncio 322209 info

Garage o Posto auto Viale della Regione Siciliana Nord Ovest, 4468, 90100 Palermo (PA)

1091,00
0
€ 402.500
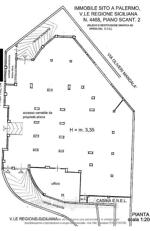
Vendita all'asta Senza incanto, con gara telematica sincrona mista - LOTTO 4: Piena proprietà di un locale scantinato sito nel Comune di Palermo, Viale Regione Siciliana n. 4468, piano terra, identificato in Catasto Fabbricati del detto Comune al foglio 39, particella 1683 sub 2, zona censuaria 2, categoria C/6, classe 5, consistenza 2050 mq., rendita € 3.705,58. Viale della Regione Siciliana Nord Ovest n. 4468, p. S/2. Prezzo base € 402.500,00 (offerta minima € 301.875,00). Data vendita 10/07/2026 ore 11:00. Giudice: Grazia Giuffrida. Professionista delegato alla vendita: Avv. Marina Vajana - Email "avvmvajana.esecuzioni@gmail.com"; Tel. 091/300764. Custode Giudiziario: Avv. Marina Vajana - Email "avvmvajana.esecuzioni@gmail.com"; Tel. 091/300764. Rif. Tribunale di Palermo - Esecuzione immobiliare post legge 80 n. 454/2006

Superficie 1091,00 mq
Vani
Bagni
Piano 0

Tipologia di vendita Giudiziaria
Modalità di vendita Sincrona mista
Termine presentazione offerte 09/07/2026 ore 13:00
Data e ora inizio gara 10/07/2026 ore 11:00
Codice ID astegiudiziarie.it 222128
1091,00
0
€ 402.500

Ti interessa questa vendita?

north_east

Clicca qui per essere indirizzato alla scheda sul sito di provenienza

Bene di astegiudiziarie.it