highlight_off
Riferimento annuncio 318741 info

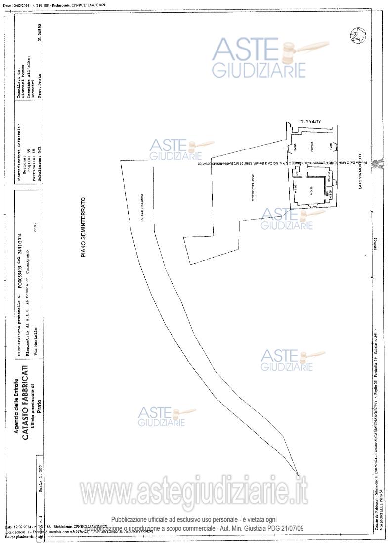
Garage o Posto auto loc. Comeana, via Mortelle 7, 59015 Carmignano (PO)

12,00
0
€ 8.000
Vendita all'asta Senza incanto, con gara telematica sincrona - LOTTO 8: LOTTO 8: Piena proprietà di posto auto posto in Carmignano Via Mortelle, facente parte del condominio "Il Colombaione", privo di delimitazione a terra, adiacente ad altri posti auto e non univocamente rilevabile. Bene gravato da vincolo storico ex D.Lgs. 42/2004. Prendere visione dell'avviso di vendita e perizia di stima pubblicati. Prezzo base € 8.000,00 (offerta minima € 6.000,00). Data vendita 30/01/2026 ore 10:00. Giudice Dott. Elisabetta Donelli. Professionista delegato alla vendita Not. Laura Biagioli - Email "studio@notaiobiagioli.it"; Tel. 0574592532. Custode Giudiziario Isveg Srl - Email "prenota.po@isveg.it"; Cell. 3773131585. Rif. Tribunale di Prato - Espropriazione immobiliare (cartabia) n. 71/2023

Superficie 12,00 mq
Vani
Bagni
Piano 0

Tipologia di vendita Giudiziaria
Modalità di vendita Sincrona telematica
Termine presentazione offerte 01/01/1900 ore 00:00
Data e ora inizio gara 30/01/2026 ore 10:00
Codice ID astegiudiziarie.it 4338916
12,00
0
€ 8.000

Ti interessa questa vendita?

north_east

Clicca qui per essere indirizzato alla scheda sul sito di provenienza

Bene di astegiudiziarie.it