highlight_off
Riferimento annuncio 303125 info

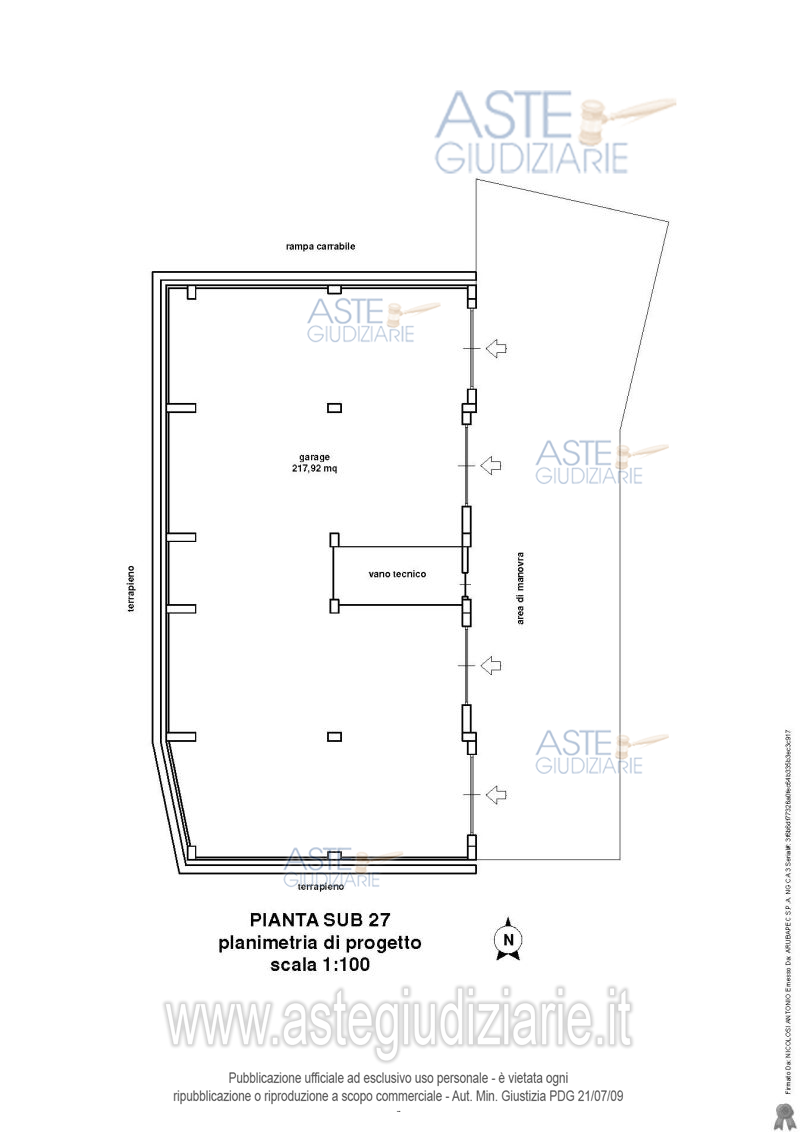
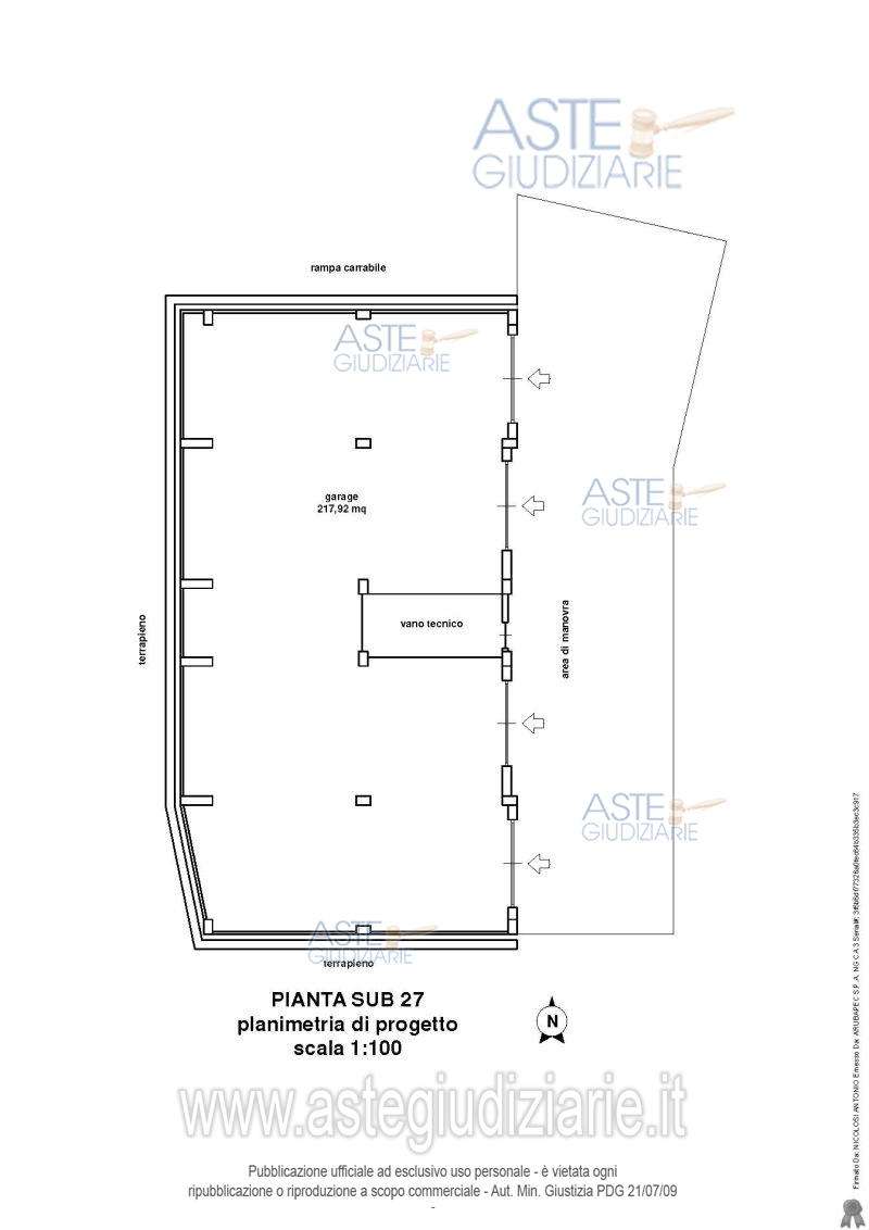
Garage o Posto auto VIA FEDERICO DI SVEVIA II N.14, 95032 Belpasso (CT)

157,00
0
€ 69.150
Vendita all'asta Senza incanto, con gara telematica sincrona mista - LOTTO 3: LOTTO TRE Garage sito in Belpasso (CT), via Federico II di Svevia, n. 14, piano terra, censito al N.C.E.U. al foglio 36, particella 523, subalterno 27, categoria C/6, classe 1, consistenza 157 m2, rendita 340,55 euro, confinante a nord con rampa condominiale, ad est con corte stessa ditta, a sud e ad ovest con proprietà della stessa ditta (terrapieno). Prezzo base € 69.150,00 (offerta minima € 51.863,00). Data vendita 12/12/2025 ore 11:00. Professionista delegato alla vendita Avv. Giovanni Fichera - Email "studiofichera@virgilio.it"; Tel. 095388875. Custode Giudiziario Avv. Giovanni Fichera - Email "studiofichera@virgilio.it"; Tel. 095388875. Rif. Tribunale di Catania - Esecuzione immobiliare post legge 80 n. 283/2022

Superficie 157,00 mq
Vani
Bagni
Piano 0

Tipologia di vendita Giudiziaria
Modalità di vendita Sincrona mista
Termine presentazione offerte 01/01/1900 ore 00:00
Data e ora inizio gara 12/12/2025 ore 11:00
Codice ID astegiudiziarie.it 4326273
157,00
0
€ 69.150

Ti interessa questa vendita?

north_east

Clicca qui per essere indirizzato alla scheda sul sito di provenienza

Bene di astegiudiziarie.it