highlight_off
Riferimento annuncio 321782 info

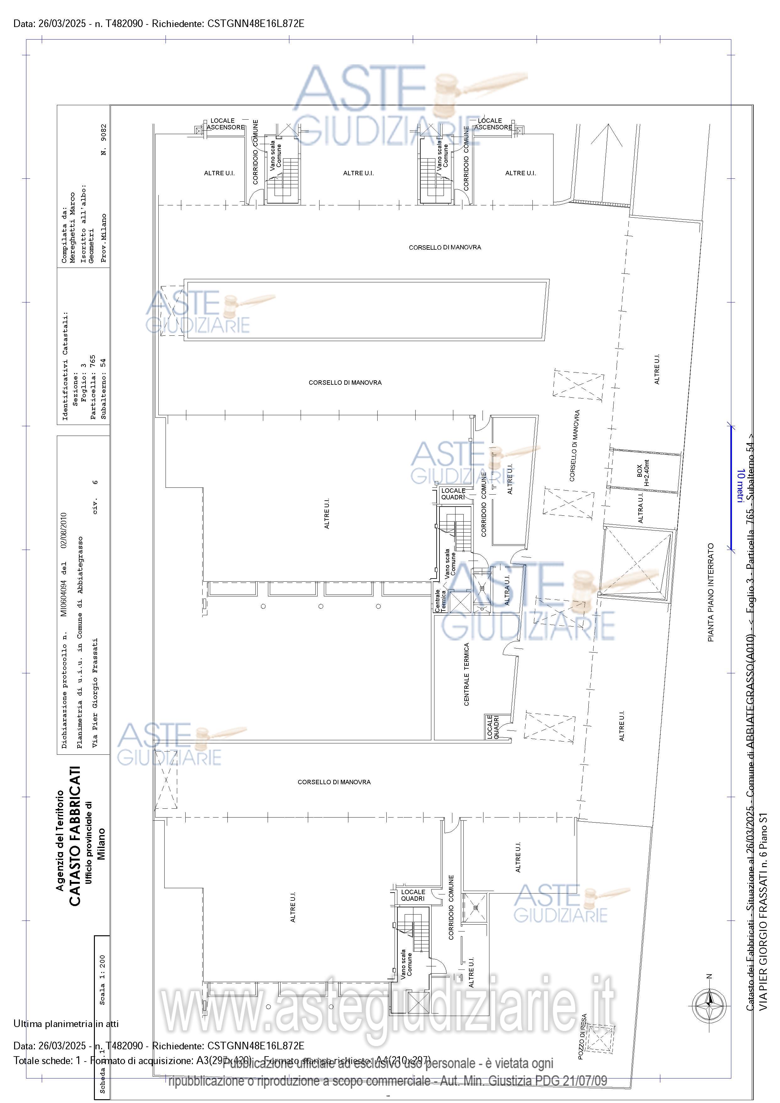
Garage o Posto auto Via Pier Giorgio Frassati 6, 20081 Abbiategrasso (MI)

0
€ 10.800
Vendita all'asta Senza incanto, con gara telematica asincrona - LOTTO UNICO: Autorimessa al piano interrato del complesso condominiale denominato "I Vecchi Tigli". Prezzo base € 10.800,00 (offerta minima € 8.100,00). Data inizio operazioni di vendita: 04/02/2026 ore 15:00. Giudice Erminio Rizzi. Professionista delegato alla vendita Avv. Michele Simone - Email "simone@kv.legal". Custode Giudiziario Istituto Vendite Giudiziarie Di Vigevano - Email "immobiliarivigevano@ifir.it"; Tel. 0381691137. Rif. Tribunale di Pavia - Espropriazione immobiliare (cartabia) n. 507/2024

Superficie mq
Vani
Bagni
Piano 0

Tipologia di vendita Giudiziaria
Modalità di vendita Asincrona telematica
Termine presentazione offerte 01/01/1900 ore 00:00
Data e ora inizio gara 04/02/2026 ore 15:00
Codice ID astegiudiziarie.it 4340980
0
€ 10.800

Ti interessa questa vendita?

north_east

Clicca qui per essere indirizzato alla scheda sul sito di provenienza

Bene di astegiudiziarie.it