highlight_off
Riferimento annuncio 332984 info

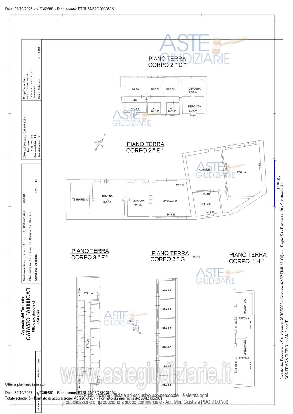
Fabbricato rurale contrada Tiepidi o Tiepoli, 95049 Vizzini (CT)

0
€ 2.515.000
Vendita all'asta Senza incanto, con gara telematica sincrona mista - LOTTO UNICO: Complesso immobiliare composto da appezzamenti di terreno con insistenti fabbricati urbani e rurali (in parte ancora non censiti in catasto fabbricati), costituenti nell'insieme un'azienda agricola. Prezzo base € 2.515.000,00 (offerta minima € 1.886.250,00). Data vendita 24/06/2026 ore 15:30. Giudice: Sebastiano Cassaniti. Custode Giudiziario: Avv. Lucia Bruno - Email "lucia.bruno74@tiscali.it"; Tel. 095/446074. Liquidatore: Dott. Caminito Giovanni. Rif. Tribunale di Catania - Nuovo concordato preventivo n. 2/2021

Superficie mq
Vani
Bagni
Piano 0

Tipologia di vendita Giudiziaria
Modalità di vendita Sincrona mista
Termine presentazione offerte 23/06/2026 ore 13:00
Data e ora inizio gara 24/06/2026 ore 15:30
Codice ID astegiudiziarie.it 4350407
0
€ 2.515.000

Ti interessa questa vendita?

north_east

Clicca qui per essere indirizzato alla scheda sul sito di provenienza

Bene di astegiudiziarie.it