highlight_off
Riferimento annuncio 246137 info

Fabbricato rurale sabbio chiese, 25070 Sabbio Chiese (BS)

€ 358.634
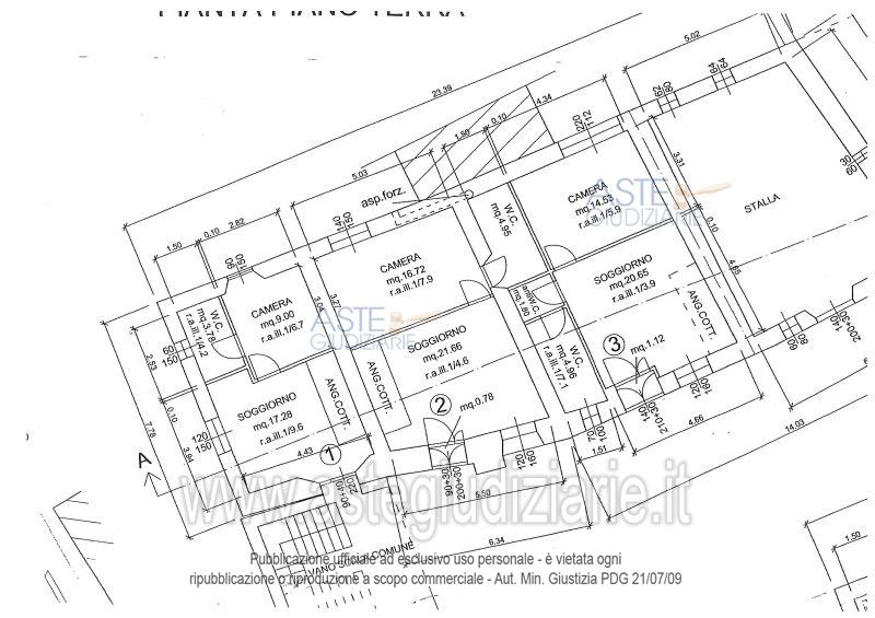
Vendita all'asta Senza incanto, con gara telematica asincrona - LOTTO 14: Piena proprietà di unità immobiliari inserite in fabbricato rurale, in particolare: - sub.1: immobile adibito a cantina/deposito; - sub. 2: immobile costituito da nove alloggi agri-turistici ; - sub. 3: appartamento su due piani fuori terra; - sub. 5: appartamento al piano primo; - sub. 6: immobile adibito a fienile; - sub. 7: appartamento al piano secondo; - sub.10: immobile adibito a bar; - sub.11: immobile adibito a camera agri-turistica; - mappale 159 identifica il cortile del fabbricato. Prezzo base € 358.633,70 (offerta minima € 268.975,28). Data inizio operazioni di vendita: 10/12/2025 ore 09:30. Professionista delegato alla vendita Not. Francesco Fiordiliso - Email "ffiordiliso@notariato.it"; Tel. 030222849. Custode Giudiziario Dott. Vittorio Corniani - Email "ivgbrescia@ivgbrescia.com"; Tel. 030348410. Rif. Tribunale di Brescia - Esecuzione immobiliare post legge 80 n. 471/2006

Tipologia di vendita Giudiziaria
Modalità di vendita Asincrona telematica
Termine presentazione offerte 01/01/1900 ore 00:00
Data e ora inizio gara 10/12/2025 ore 09:30
Codice ID astegiudiziarie.it 2782229
€ 358.634

Ti interessa questa vendita?

north_east

Clicca qui per essere indirizzato alla scheda sul sito di provenienza

Bene di astegiudiziarie.it