highlight_off
Riferimento annuncio 262017 info

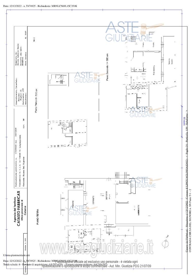
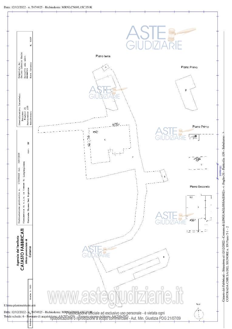
Fabbricato rurale c/da Chiusa del Signore, 95015 Linguaglossa (CT)

1692,00
0
€ 379.688
Vendita all'asta Senza incanto, con gara telematica sincrona mista - LOTTO UNICO: Compendio immobiliare sito in Linguaglossa (CT), c/da Chiusa del Signore, costituito da distinti corpi di fabbrica di diversa destinazione, per una superficie commerciale complessiva di c.ca mq. 1.692, oltre terreni pertinenziali di Ha 05.40.00. Al C.F. Foglio 31, part. 159, D/10, r.c. € 8.476,00, Foglio 34, Part. 460, Cat. C/2, Classe 2, consistenza mq. 21, r.c. € 19,52, Part 486, categ. Cat. D/10, r.c. € 2.035,00, e al C.T. al Foglio 31, Part. 80, 155, 158 e al Foglio 34, part. 323, 485, 487. Prezzo base € 379.688,00 (offerta minima € 284.766,00). Data vendita 22/01/2026 ore 16:00. Professionista delegato alla vendita Avv. Sergio Finocchiaro - Tel. 0952163386. Custode Giudiziario Dott. Maria Luciana Fragalà - Email "marilufragala@hotmail.it"; Cell. 3939160123. Rif. Tribunale di Catania - Esecuzione immobiliare post legge 80 n. 515/2019

Superficie 1692,00 mq
Vani
Bagni
Piano 0

Tipologia di vendita Giudiziaria
Modalità di vendita Sincrona mista
Termine presentazione offerte 01/01/1900 ore 00:00
Data e ora inizio gara 22/01/2026 ore 16:00
Codice ID astegiudiziarie.it 4295862
1692,00
0
€ 379.688

Ti interessa questa vendita?

north_east

Clicca qui per essere indirizzato alla scheda sul sito di provenienza

Bene di astegiudiziarie.it